Добавить в корзинуПозвонить
Найти в Дзене
Ставропольский Дзен

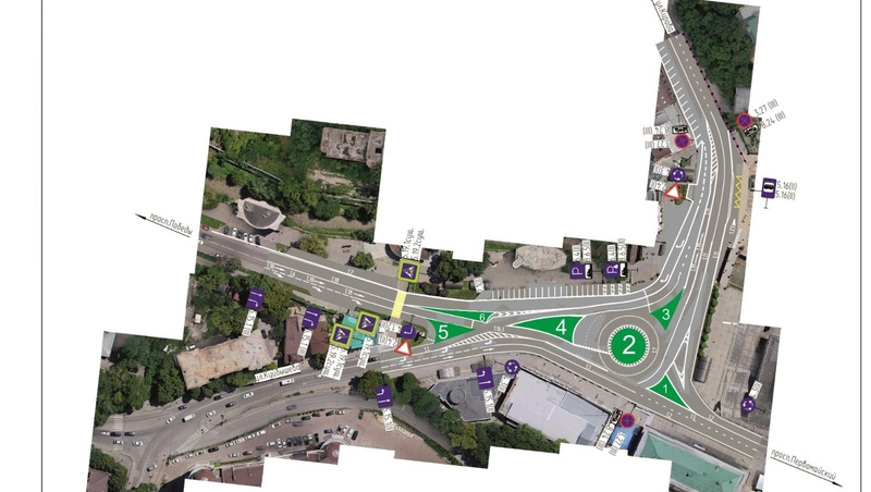
Правила проезда кольцевого перекрёстка в центре Кисловодска изменятся

Обычно туристы подъезжают к Октябрьской площади со стороны проспекта Победы. Главным считается движение по кольцевому перекрёстку на проспект Первомайский, ведущий к Колоннаде и входу в Национальный парк. В будущем приоритетным могут сделать перпендикулярное направление — с улицы Куйбышева на Кирова через круг. Пока что для безопасного проезда на перекрёстке ставят столбики и обозначают треугольники и окружности. Островки безопасности хотят огородить бордюрами, как это было в советские годы, а затем изменить приоритетность дорог. «Если этого будет недостаточно для нормализации движения, то будем устанавливать светофоры, хоть они и замедляют движение. По итогу планируем сделать на островках безопасности красивые газоны и клумбы, а в центре круга — большой фонтан», — говорит глава Кисловодска Евгений Моисеев. Ранее сообщалось, что автоинспекторы Ставрополья выявили десять нарушений при проверке автобусов. Сотрудники ГИБДД проверили тормозную систему, рулевое управление, осветительные пр
     Фото: ИА «Победа26»
Фото: ИА «Победа26»

Власти Кисловодска меняют схему движения на Октябрьской площади в центре города. Это должно снизить число аварий, в которые попадают гости курорта, считают в мэрии.

Обычно туристы подъезжают к Октябрьской площади со стороны проспекта Победы. Главным считается движение по кольцевому перекрёстку на проспект Первомайский, ведущий к Колоннаде и входу в Национальный парк. В будущем приоритетным могут сделать перпендикулярное направление — с улицы Куйбышева на Кирова через круг.

Пока что для безопасного проезда на перекрёстке ставят столбики и обозначают треугольники и окружности. Островки безопасности хотят огородить бордюрами, как это было в советские годы, а затем изменить приоритетность дорог.

«Если этого будет недостаточно для нормализации движения, то будем устанавливать светофоры, хоть они и замедляют движение. По итогу планируем сделать на островках безопасности красивые газоны и клумбы, а в центре круга — большой фонтан»,

— говорит глава Кисловодска Евгений Моисеев.

-2

Ранее сообщалось, что автоинспекторы Ставрополья выявили десять нарушений при проверке автобусов. Сотрудники ГИБДД проверили тормозную систему, рулевое управление, осветительные приборы и другие важные узлы общественного транспорта.