Добавить в корзинуПозвонить
Найти в Дзене
ГосземляРФ

Название: Лесные насаждения, расположенные на территории: Республика Башкортостан, Салаватское лесничество, Аркаульское участковое

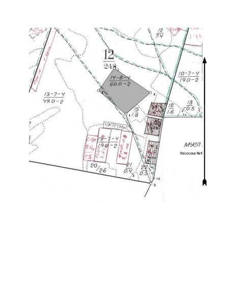
Название: Лесные насаждения, расположенные на территории: Республика Башкортостан, Салаватское лесничество, Аркаульское  участковое лесничество, квартал № 12, выдел 14 делянка 2, на площади 10,0 га, объем вырубаемой древесины 2180 куб.м Канал: Госземля Республика Башкортостан Область: - Район: - Населенный пункт: - Локация: Смотреть на карте ВРИ: Заготовка древесины Кадастровый номер: 02:42:000000:77 Кадастровая стоимость: - Вид сделки: Продажа Площадь: 100000 м² Начальная цена: 803885.00 руб. Дата завершения: 09.12.2025 Подробнее: ГИС ТОРГИ #госземля #земляотгосударства #земля #земельныйучасток #земельныеторги #торги #аукцион #продажаземли #продажа #республикабашкортостан

Название: Лесные насаждения, расположенные на территории: Республика Башкортостан, Салаватское лесничество, Аркаульское  участковое лесничество, квартал № 12, выдел 14 делянка 2, на площади 10,0 га, объем вырубаемой древесины 2180 куб.м

Канал: Госземля Республика Башкортостан

Область: -

Район: -

Населенный пункт: -

Локация: Смотреть на карте

ВРИ: Заготовка древесины

Кадастровый номер: 02:42:000000:77

Кадастровая стоимость: -

Вид сделки: Продажа

Площадь: 100000 м²

Начальная цена: 803885.00 руб.

Дата завершения: 09.12.2025

Подробнее: ГИС ТОРГИ

#госземля #земляотгосударства #земля #земельныйучасток #земельныеторги #торги #аукцион #продажаземли #продажа #республикабашкортостан