Добавить в корзинуПозвонить
Найти в Дзене
ГосземляРФ

Название: Земельный участок с местоположением: Российская Федерация, Хабаровский край, городской округ «Город Хабаровск», город Хабаровск

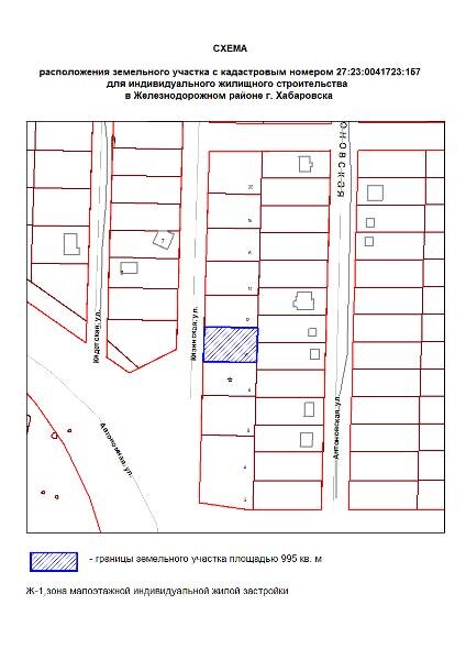
Название: Земельный участок с местоположением: Российская Федерация, Хабаровский край, городской округ «Город Хабаровск», город Хабаровск, улица Кизинская, земельный участок 10. Вид разрешенного использования – для индивидуального жилищного строительства. Кадастровый номер - 27:23:0041723:157 Площадь - 995 кв. м Форма собственности – неразграниченная. Категория земель - земли населенных пунктов. Канал: Госземля Хабаровский край Область: край Хабаровский Район: г.о. город Хабаровск Населенный пункт: г Хабаровск, ул Кизинская, з/у 10 Локация: Смотреть на карте ВРИ: Для индивидуального жилищного строительства Кадастровый номер: 27:23:0041723:157 Кадастровая стоимость: - Вид сделки: Аренда Площадь: 995 м² Начальная цена: 393965.00 руб. Дата завершения: 15.12.2025 Подробнее: ГИС ТОРГИ #госземля #земляотгосударства #земля #земельныйучасток #земельныеторги #торги #аукцион #арендаземли #аренда #хабаровскийкрай

Название: Земельный участок с местоположением: Российская Федерация, Хабаровский край, городской округ «Город Хабаровск», город Хабаровск, улица Кизинская, земельный участок 10. Вид разрешенного использования – для индивидуального жилищного строительства. Кадастровый номер - 27:23:0041723:157 Площадь - 995 кв. м Форма собственности – неразграниченная. Категория земель - земли населенных пунктов.

Канал: Госземля Хабаровский край

Область: край Хабаровский

Район: г.о. город Хабаровск

Населенный пункт: г Хабаровск, ул Кизинская, з/у 10

Локация: Смотреть на карте

ВРИ: Для индивидуального жилищного строительства

Кадастровый номер: 27:23:0041723:157

Кадастровая стоимость: -

Вид сделки: Аренда

Площадь: 995 м²

Начальная цена: 393965.00 руб.

Дата завершения: 15.12.2025

Подробнее: ГИС ТОРГИ

#госземля #земляотгосударства #земля #земельныйучасток #земельныеторги #торги #аукцион #арендаземли #аренда #хабаровскийкрай