Добавить в корзинуПозвонить
Найти в Дзене

Рыжий таракан

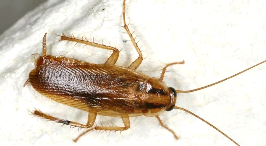
Рыжий таракан: подробное описание Рыжий таракан, также известный как прусак (Blattella germanica), – это один из самых распространенных и назойливых вредителей, с которым сталкиваются люди по всему миру. Его способность быстро размножаться и приспосабливаться к различным условиям делает его настоящей проблемой для жилых помещений, предприятий общественного питания и других объектов. Давайте разберемся в его особенностях более подробно. Внешний вид: Размер: Рыжий таракан – это относительно небольшой представитель своего рода. Взрослые особи достигают в длину от 10 до 15 миллиметров. Цвет: Как следует из названия, его окраска варьируется от светло-рыжего до красновато-коричневого. На спинке, ближе к голове, у него есть две характерные темные продольные полосы, которые являются его отличительной чертой. Тело: Тело рыжего таракана плоское и овальное, что позволяет ему легко проникать в узкие щели и трещины. Голова: Голова небольшая, направлена вперед и скрыта под переднеспинкой. На ней рас

Рыжий таракан: подробное описание

Рыжий таракан, также известный как прусак (Blattella germanica), – это один из самых распространенных и назойливых вредителей, с которым сталкиваются люди по всему миру. Его способность быстро размножаться и приспосабливаться к различным условиям делает его настоящей проблемой для жилых помещений, предприятий общественного питания и других объектов. Давайте разберемся в его особенностях более подробно.

Внешний вид:

Размер: Рыжий таракан – это относительно небольшой представитель своего рода. Взрослые особи достигают в длину от 10 до 15 миллиметров.

Цвет: Как следует из названия, его окраска варьируется от светло-рыжего до красновато-коричневого. На спинке, ближе к голове, у него есть две характерные темные продольные полосы, которые являются его отличительной чертой.

Тело: Тело рыжего таракана плоское и овальное, что позволяет ему легко проникать в узкие щели и трещины.

Голова: Голова небольшая, направлена вперед и скрыта под переднеспинкой. На ней расположены длинные, нитевидные усики, которые играют важную роль в ориентации и поиске пищи.

Крылья: У взрослых особей есть крылья, но они не способны к полноценному полету. Крылья служат скорее для планирования на короткие расстояния или для быстрого перемещения. Личинки (нимфы) крыльев не имеют.

Ноги: У таракана шесть ног, покрытых щетинками, которые помогают ему быстро передвигаться по любым поверхностям, включая вертикальные и потолок.

-2

Образ жизни и поведение:

Активность: Рыжие тараканы – ночные существа. Днем они прячутся в темных, теплых и влажных местах, а с наступлением темноты выходят на поиски пищи.

Питание: Они всеядны и не привередливы в еде. Их рацион включает в себя практически все, что найдут: остатки пищи, крошки, сахар, жиры, крахмал, бумагу, клей, мыло, кожу, волосы и даже экскременты. Особенно их привлекают сладкие и жирные продукты.

Среда обитания: Рыжие тараканы предпочитают теплые и влажные места. Их часто можно встретить на кухне, в ванной комнате, за холодильником, плитой, под раковиной, в щелях стен, за мебелью, в вентиляционных отверстиях и даже в электроприборах.

Размножение: Это одна из самых пугающих особенностей рыжих тараканов. Они размножаются очень быстро. Самка откладывает яйца в специальной капсуле – оотеке, которая содержит от 30 до 40 яиц. В течение своей жизни самка может произвести до 7 оотек. Инкубационный период длится около месяца, после чего из яиц вылупляются нимфы. Нимфы проходят несколько стадий линьки, прежде чем стать взрослыми особями. Весь жизненный цикл от яйца до взрослой особи может занимать всего 2-3 месяца.

-3

Социальность

Рыжие тараканы, несмотря на свою кажущуюся простоту, обладают удивительной способностью к социальному взаимодействию, которое играет ключевую роль в их выживании и распространении. Они не являются одиночными существами, а предпочитают жить большими колониями, где наблюдается определенная организация. Это проявляется в том, что тараканы часто собираются вместе в укромных местах, образуя скопления. Такое поведение не только обеспечивает им защиту от хищников (хотя в домашних условиях естественных врагов у них мало), но и способствует более эффективному поиску пищи. Когда один таракан находит источник пропитания, его присутствие и феромоны могут привлечь других особей из колонии, что позволяет быстро освоить и использовать пищевой ресурс.

Более того, рыжие тараканы демонстрируют определенную степень "обучаемости" и адаптивности. Они способны запоминать расположение источников пищи и воды, а также избегать мест, где они сталкивались с опасностью, например, с инсектицидами или механическим воздействием. Эта способность к обучению, пусть и примитивная, позволяет им избегать ловушек и выживать в условиях, которые могли бы быть фатальными для менее приспособленных видов.

Важным аспектом их жизни является также их устойчивость к неблагоприятным условиям. Рыжие тараканы могут выживать без пищи в течение нескольких недель, а без воды – всего несколько дней, но их способность находить влагу даже в самых неожиданных местах (например, в конденсате на трубах или в остатках жидкости на посуде) делает их чрезвычайно живучими. Они также способны переносить широкий диапазон температур, хотя предпочитают тепло. Экстремальный холод может их убить, но они могут пережить кратковременные заморозки, находясь в защищенных местах.

Их способность к быстрому распространению обусловлена не только высокой скоростью размножения, но и их способностью перемещаться на большие расстояния. Они могут быть случайно перевезены в домах и квартирах на одежде, сумках, продуктах питания, а также через вентиляционные системы и коммуникации между помещениями. Это делает борьбу с ними особенно сложной, поскольку заражение может произойти даже в самых чистых и ухоженных помещениях.

В целом, рыжий таракан – это пример высокоадаптивного и успешного вида, который научился сосуществовать с человеком, используя его жилища и ресурсы. Его внешняя непривлекательность и репутация переносчика болезней (хотя прямое доказательство передачи многих заболеваний человеком отсутствует, они могут переносить патогенные микроорганизмы на своих лапках и теле) делают его объектом неприязни и активной борьбы со стороны людей. Понимание всех аспектов его биологии и поведения является ключом к разработке эффективных методов контроля и уничтожения этих назойливых насекомых.

-4

Вред и опасность:

Рыжие тараканы представляют собой серьезную угрозу для здоровья человека и санитарного состояния помещений. Их главная опасность заключается в том, что они являются переносчиками различных заболеваний. Перемещаясь по мусору, канализации и другим антисанитарным местам, они пачкают свои лапки и тело патогенными микроорганизмами, такими как бактерии дизентерии, сальмонеллы, кишечные палочки, а также яйца гельминтов. Затем, попадая на пищевые продукты, посуду или поверхности, они могут заразить их, вызывая у людей кишечные инфекции, пищевые отравления и другие заболевания.

Кроме того, продукты жизнедеятельности тараканов (экскременты и сброшенные шкурки) могут вызывать аллергические реакции, особенно у детей и людей с повышенной чувствительностью. Запах, который издают колонии тараканов, также может быть неприятным и вызывать дискомфорт.

Борьба с рыжими тараканами:

Борьба с рыжими тараканами требует комплексного подхода и настойчивости. Поскольку они очень живучи и быстро размножаются, одних лишь профилактических мер может быть недостаточно.

-5

Профилактика:

Чистота: Регулярная и тщательная уборка – основа основ. Необходимо ежедневно убирать крошки и остатки пищи со столов, пола и кухонных поверхностей. Особое внимание следует уделять местам, где хранятся продукты.

Хранение продуктов: Все продукты питания должны храниться в плотно закрытых контейнерах или упаковках. Не оставляйте еду на открытом воздухе, особенно на ночь.

Устранение источников влаги: Тараканы нуждаются во влаге. Необходимо устранить протечки кранов и труб, регулярно вытирать насухо раковины и ванны, а также следить за вентиляцией в ванной комнате и на кухне.

Герметизация щелей: Заделайте все щели и трещины в стенах, полу, вокруг плинтусов, труб и вентиляционных отверстий. Это лишит тараканов укрытий и путей проникновения.

Регулярный вынос мусора: Мусорное ведро должно быть с плотно закрывающейся крышкой, а мусор следует выносить ежедневно.

-6

Методы уничтожения:

Инсектициды: Существует множество инсектицидных средств в виде аэрозолей, гелей, порошков и ловушек. Гели считаются одними из наиболее эффективных, так как тараканы съедают отравленную приманку и переносят яд в колонию. Аэрозоли действуют быстро, но могут быть менее долговечными. Порошки можно рассыпать в местах обитания тараканов.

Народные средства: Некоторые народные средства, такие как борная кислота, могут быть эффективны. Борную кислоту смешивают с яичным желтком или картофельным пюре, формируют шарики и раскладывают в местах скопления тараканов. Кислота вызывает обезвоживание и гибель насекомых.

Профессиональная дезинсекция: В случае сильного заражения или неэффективности самостоятельных мер, рекомендуется обратиться к специалистам по дезинсекции. Они используют профессиональные инсектициды и оборудование, которые позволяют быстро и эффективно избавиться от тараканов.

-7

Заключение:

Рыжий таракан – это не просто неприятный сосед, а потенциальный источник опасности для здоровья. Его живучесть, способность к быстрому размножению и адаптивность делают борьбу с ним непростой задачей. Однако, соблюдая правила гигиены, применяя эффективные методы уничтожения и проявляя настойчивость, можно добиться полного избавления от этих назойливых вредителей и обеспечить чистоту и безопасность своего жилища. Понимание биологии и поведения рыжего таракана является первым и самым важным шагом на пути к успешной борьбе с ним.

Большое спасибо за ваше внимание подписывайтесь на канал став те лайки оставляйте комментарии