Найти в Дзене
ГосземляРФ

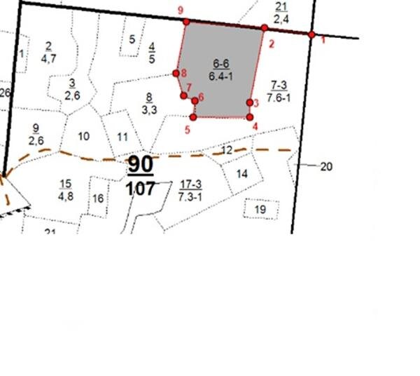
Название: ГКУ "Нурлатское лесничество" Восходское участковое лесничество кв

Название: ГКУ "Нурлатское лесничество" Восходское участковое лесничество кв. 90 выд. 6 лесосека 1 Канал: Госземля Республика Татарстан Область: - Район: - Населенный пункт: - Локация: Смотреть на карте ВРИ: Использование лесов Кадастровый номер: 16:32:000000:2114 Кадастровая стоимость: - Вид сделки: Продажа Площадь: 64000 м² Начальная цена: 187525.00 руб. Дата завершения: 28.11.2025 Подробнее: ГИС ТОРГИ #госземля #земляотгосударства #земля #земельныйучасток #земельныеторги #торги #аукцион #продажаземли #продажа #республикататарстан

Название: ГКУ "Нурлатское лесничество" Восходское участковое лесничество кв. 90 выд. 6 лесосека 1

Канал: Госземля Республика Татарстан

Область: -

Район: -

Населенный пункт: -

Локация: Смотреть на карте

ВРИ: Использование лесов

Кадастровый номер: 16:32:000000:2114

Кадастровая стоимость: -

Вид сделки: Продажа

Площадь: 64000 м²

Начальная цена: 187525.00 руб.

Дата завершения: 28.11.2025

Подробнее: ГИС ТОРГИ

#госземля #земляотгосударства #земля #земельныйучасток #земельныеторги #торги #аукцион #продажаземли #продажа #республикататарстан