Найти в Дзене
ГосземляРФ

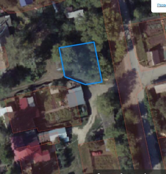
Название: В соответствии с выпиской из ЕГРН

Название: В соответствии с выпиской из ЕГРН Канал: Госземля Рязанская область Область: обл Рязанская Район: м.р-н Александро-Невский Населенный пункт: г.п. Александро-Невское, рп Александро-Невский, ул Вокзальная восточнее д. 7 Локация: Смотреть на карте ВРИ: Для ведения личного подсобного хозяйства (приусадебный земельный участок) Кадастровый номер: 62:09:0010201:1659 Кадастровая стоимость: - Вид сделки: Аренда Площадь: 300 м² Начальная цена: - руб. Дата завершения: 11.12.2025 Подробнее: ГИС ТОРГИ #госземля #земляотгосударства #земля #земельныйучасток #земельныеторги #торги #аукцион #арендаземли #аренда #рязанскаяобласть

Название: В соответствии с выпиской из ЕГРН

Канал: Госземля Рязанская область

Область: обл Рязанская

Район: м.р-н Александро-Невский

Населенный пункт: г.п. Александро-Невское, рп Александро-Невский, ул Вокзальная восточнее д. 7

Локация: Смотреть на карте

ВРИ: Для ведения личного подсобного хозяйства (приусадебный земельный участок)

Кадастровый номер: 62:09:0010201:1659

Кадастровая стоимость: -

Вид сделки: Аренда

Площадь: 300 м²

Начальная цена: - руб.

Дата завершения: 11.12.2025

Подробнее: ГИС ТОРГИ

#госземля #земляотгосударства #земля #земельныйучасток #земельныеторги #торги #аукцион #арендаземли #аренда #рязанскаяобласть