Добавить в корзинуПозвонить
Найти в Дзене
ГосземляРФ

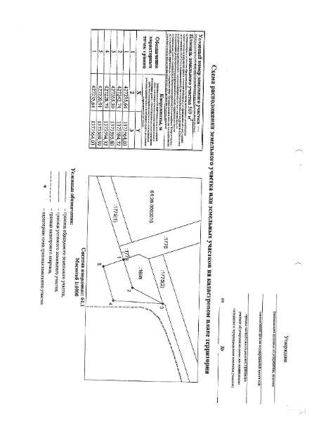
Название: продажа земельного участка (земли сельскохозяйственного назначения) площадью 569 кв

Название: продажа земельного участка (земли сельскохозяйственного назначения) площадью 569 кв. м., кадастровый номер 61:26:0600015:5674 расположенного по адресу: Российская Федерация, Ростовская область, муниципальный район Неклиновский, сельское поселение Вареновское, 3550 метров южнее с. Бессергеновка. Разрешенное использование: сельскохозяйственное использование Канал: Госземля Ростовская область Область: - Район: - Населенный пункт: - Локация: Смотреть на карте ВРИ: Сельскохозяйственное использование Кадастровый номер: 61:26:0600015:5674 Кадастровая стоимость: - Вид сделки: Продажа Площадь: 569 м² Начальная цена: 147109.00 руб. Дата завершения: 08.12.2025 Подробнее: ГИС ТОРГИ #госземля #земляотгосударства #земля #земельныйучасток #земельныеторги #торги #аукцион #продажаземли #продажа #ростовскаяобласть

Название: продажа земельного участка (земли сельскохозяйственного назначения) площадью 569 кв. м., кадастровый номер 61:26:0600015:5674 расположенного по адресу: Российская Федерация, Ростовская область, муниципальный район Неклиновский, сельское поселение Вареновское, 3550 метров южнее с. Бессергеновка. Разрешенное использование: сельскохозяйственное использование

Канал: Госземля Ростовская область

Область: -

Район: -

Населенный пункт: -

Локация: Смотреть на карте

ВРИ: Сельскохозяйственное использование

Кадастровый номер: 61:26:0600015:5674

Кадастровая стоимость: -

Вид сделки: Продажа

Площадь: 569 м²

Начальная цена: 147109.00 руб.

Дата завершения: 08.12.2025

Подробнее: ГИС ТОРГИ

#госземля #земляотгосударства #земля #земельныйучасток #земельныеторги #торги #аукцион #продажаземли #продажа #ростовскаяобласть