Найти в Дзене

Виноград Адель. Технический сорт.

Виноград «Адель»: Неприхотливый друг начинающего садовода Если вы мечтаете о своем винограднике, но боитесь сложного ухода, присмотритесь к техническому сорту «Адель». Это именно тот вариант, который простит ошибки и будет стабильно радовать урожаем. Давайте разберем его «по косточкам». Технический сорт и его предназначение. «Адель» создан не для того, чтобы поражать размерами ягод на рынке. Его судьба — стать прекрасным вином, насыщенным соком, ароматным компотом или вареньем. Он — надежный поставщик сырья, настоящая рабочая лошадка в вашем саду. Гроздья: Небольшие, аккуратные, весом 150-200 грамм. По форме напоминают узкий конус, ягоды сидят плотно и не очень плотно, в зависимости от опыления. Ягоды: Мелкие, темно-синие, почти черные, с красивым сизым налетом. Кожица тонкая, но крепкая, что защищает их от растрескивания. Вкус: Простой, гармоничный, без вычурных нот. В свежем виде — приятная кислинка. Вся его магия раскрывается после переработки. Характеристики, от которых новички в

Виноград «Адель»: Неприхотливый друг начинающего садовода

Если вы мечтаете о своем винограднике, но боитесь сложного ухода, присмотритесь к техническому сорту «Адель». Это именно тот вариант, который простит ошибки и будет стабильно радовать урожаем. Давайте разберем его «по косточкам».

Технический сорт и его предназначение. «Адель» создан не для того, чтобы поражать размерами ягод на рынке. Его судьба — стать прекрасным вином, насыщенным соком, ароматным компотом или вареньем. Он — надежный поставщик сырья, настоящая рабочая лошадка в вашем саду.

Четвертый год плодоношения. Начало сентября.
Четвертый год плодоношения. Начало сентября.

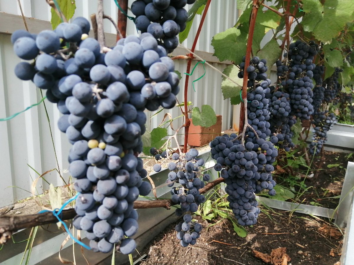
Гроздья: Небольшие, аккуратные, весом 150-200 грамм. По форме напоминают узкий конус, ягоды сидят плотно и не очень плотно, в зависимости от опыления.

Ягоды: Мелкие, темно-синие, почти черные, с красивым сизым налетом. Кожица тонкая, но крепкая, что защищает их от растрескивания.

Вкус: Простой, гармоничный, без вычурных нот. В свежем виде — приятная кислинка. Вся его магия раскрывается после переработки.

Характеристики, от которых новички в восторге

Феноменальная зимостойкость. Это главный козырь! «Адель» без укрытия переносит морозы до -25°C... -28°C. В южных регионах и средней полосе о нем можно не беспокоиться. В более холодных зонах легкое укрытие — и он в полной безопасности. На Южном Урале закрываю агротканью в несколько слоев.

На второй год сигнальная гроздь.
На второй год сигнальная гроздь.

Высокий иммунитет. Сорт обладает врожденной устойчивостью к милдью и оидиуму — самым распространенным грибковым болезням винограда. Но профилактические обработки никто не отменял.

Июль 2025г
Июль 2025г

Стабильность и надежность. «Адель» не делает перерывов на "отдых". Он ежегодно будет выдавать вам стабильный урожай, несмотря на капризы погоды.

Ранне-средний срок созревания. Урожай поспевает уже в конце лета – начале осени (срок вегетации около 125-130 дней). Он гарантированно вызреет даже при коротком и не очень жарком лете. Конец августа - начало сентября можно снимать урожай.

2 сентября 2025г
2 сентября 2025г

Что же с ним делать?

Его стихия — переработка. Насыщенный сок, терпкое домашнее вино (часто используется для купажей), компоты, где его цвет и кислинка очень кстати — вот лучшая судьба для урожая «Адели».

-5

Итог для новичка

Виноград «Адель» — это ваш идеальный первый сорт. Он не потребует от вас сверхусилий, но подарит бесценный опыт и уверенность в своих силах. Он как верный друг: надежный, неприхотливый и всегда приходящий на помощь с урожаем. Посадите «Адель» и убедитесь сами!

виноград#саженцы винограда#описание сорта#полное описание#сорта для урала и сибири# посадка винограда# саженцы винограда# как посадить виноград# выбор места для винограда# подготовка почвы#виноград без косточек# кишмиш# ранние сорта# морозостойкие сорта#устойчивые сорта#Кишмиш# Лучистый#Кардинал#Память Домбковской# Мускат белый Шатилова#Тукай#Розовый Рай#Благодать#теплица#русбол#технические сорта винограда#открытый грунт#виноделие#сорта для вина