Найти в Дзене
ГосземляРФ

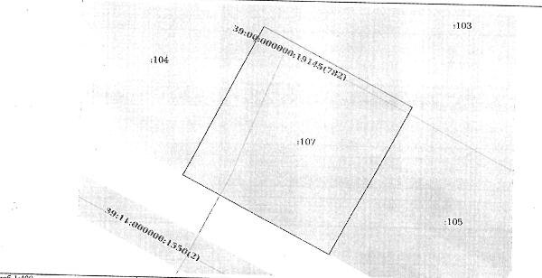
Название: Земельный участок из земель населенных пунктов с кадастровым номером 39:11:020015:107 площадью 800,0 кв

Название: Земельный участок из земель населенных пунктов с кадастровым номером 39:11:020015:107 площадью 800,0 кв. м, с разрешенным использованием «для индивидуального жилищного строительства», местоположение: Калининградская область, Правдинский район, п. Железнодорожный, ул. Свободы. Канал: Госземля Калининградская область Область: обл Калининградская Район: м.о. Правдинский Населенный пункт: п Железнодорожный, ул Свободы Локация: Смотреть на карте ВРИ: Для индивидуального жилищного строительства Кадастровый номер: 39:11:020015:107 Кадастровая стоимость: - Вид сделки: Аренда Площадь: 800 м² Начальная цена: - руб. Дата завершения: 04.12.2025 Подробнее: ГИС ТОРГИ #госземля #земляотгосударства #земля #земельныйучасток #земельныеторги #торги #аукцион #арендаземли #аренда #калининградскаяобласть

Название: Земельный участок из земель населенных пунктов с кадастровым номером 39:11:020015:107 площадью 800,0 кв. м, с разрешенным использованием «для индивидуального жилищного строительства», местоположение: Калининградская область, Правдинский район, п. Железнодорожный, ул. Свободы.

Канал: Госземля Калининградская область

Область: обл Калининградская

Район: м.о. Правдинский

Населенный пункт: п Железнодорожный, ул Свободы

Локация: Смотреть на карте

ВРИ: Для индивидуального жилищного строительства

Кадастровый номер: 39:11:020015:107

Кадастровая стоимость: -

Вид сделки: Аренда

Площадь: 800 м²

Начальная цена: - руб.

Дата завершения: 04.12.2025

Подробнее: ГИС ТОРГИ

#госземля #земляотгосударства #земля #земельныйучасток #земельныеторги #торги #аукцион #арендаземли #аренда #калининградскаяобласть