Найти в Дзене
ГосземляРФ

Название: Земельный участок, государственная собственность на который не разграничена по адресу: Российская Федерация, Ярославская область

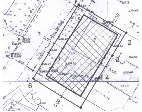
Название: Земельный участок, государственная собственность на который не разграничена по адресу: Российская Федерация, Ярославская область, городской округ город Рыбинск, город Рыбинск, улица Смирнова, земельный участок 21. Площадь земельного участка –1269±12 кв.м. Кадастровый номер – 76:20:050423:1. Разрешенное использование – для индивидуального жилищного строительства. Категория земель: земли населенных пунктов Канал: Госземля Ярославская область Область: - Район: - Населенный пункт: - Локация: Смотреть на карте ВРИ: Для индивидуального жилищного строительства Кадастровый номер: 76:20:050423:1 Кадастровая стоимость: - Вид сделки: Аренда Площадь: 1269 м² Начальная цена: 201900.00 руб. Дата завершения: 05.12.2025 Подробнее: ГИС ТОРГИ #госземля #земляотгосударства #земля #земельныйучасток #земельныеторги #торги #аукцион #арендаземли #аренда #ярославскаяобласть

Название: Земельный участок, государственная собственность на который не разграничена по адресу: Российская Федерация, Ярославская область, городской округ город Рыбинск, город Рыбинск, улица Смирнова, земельный участок 21. Площадь земельного участка –1269±12 кв.м. Кадастровый номер – 76:20:050423:1. Разрешенное использование – для индивидуального жилищного строительства. Категория земель: земли населенных пунктов

Канал: Госземля Ярославская область

Область: -

Район: -

Населенный пункт: -

Локация: Смотреть на карте

ВРИ: Для индивидуального жилищного строительства

Кадастровый номер: 76:20:050423:1

Кадастровая стоимость: -

Вид сделки: Аренда

Площадь: 1269 м²

Начальная цена: 201900.00 руб.

Дата завершения: 05.12.2025

Подробнее: ГИС ТОРГИ

#госземля #земляотгосударства #земля #земельныйучасток #земельныеторги #торги #аукцион #арендаземли #аренда #ярославскаяобласть