Добавить в корзинуПозвонить
Найти в Дзене
ГосземляРФ

Название: Лесные насаждения, расположенные на территории: Республика Башкортостан, Тирлянское лесничество, Аршинское участковое лесничество

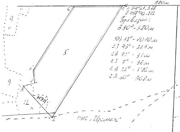
Название: Лесные насаждения, расположенные на территории: Республика Башкортостан, Тирлянское лесничество, Аршинское участковое лесничество, квартал №23, выдел 5 делянка 1, на площади 28,8 га, объем вырубаемой древесины 6118 куб.м Канал: Госземля Республика Башкортостан Область: - Район: - Населенный пункт: - Локация: Смотреть на карте ВРИ: Заготовка древесины Кадастровый номер: 02:11:000000:49 Кадастровая стоимость: - Вид сделки: Продажа Площадь: 288000 м² Начальная цена: 2201127.00 руб. Дата завершения: 18.11.2025 Подробнее: ГИС ТОРГИ #госземля #земляотгосударства #земля #земельныйучасток #земельныеторги #торги #аукцион #продажаземли #продажа #республикабашкортостан

Название: Лесные насаждения, расположенные на территории: Республика Башкортостан, Тирлянское лесничество, Аршинское участковое лесничество, квартал №23, выдел 5 делянка 1, на площади 28,8 га, объем вырубаемой древесины 6118 куб.м

Канал: Госземля Республика Башкортостан

Область: -

Район: -

Населенный пункт: -

Локация: Смотреть на карте

ВРИ: Заготовка древесины

Кадастровый номер: 02:11:000000:49

Кадастровая стоимость: -

Вид сделки: Продажа

Площадь: 288000 м²

Начальная цена: 2201127.00 руб.

Дата завершения: 18.11.2025

Подробнее: ГИС ТОРГИ

#госземля #земляотгосударства #земля #земельныйучасток #земельныеторги #торги #аукцион #продажаземли #продажа #республикабашкортостан