Добавить в корзинуПозвонить
Найти в Дзене
ГосземляРФ

Название: Предоставление земельного участка в собственность в соответствии со ст

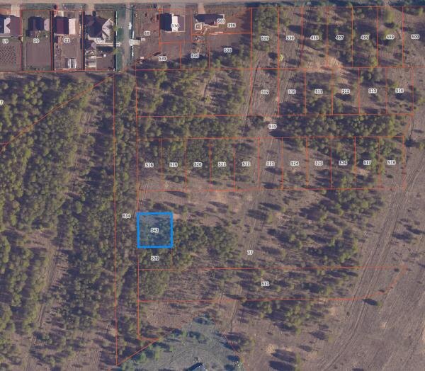
Название: Предоставление земельного участка в собственность в соответствии со ст. 39.18 Земельного кодекса Российской Федерации. Канал: Госземля Пермский край Область: край Пермский Район: м.о. Осинский Населенный пункт: г Оса Локация: Смотреть на карте ВРИ: Для индивидуального жилищного строительства Кадастровый номер: 59:29:0010363:542 Кадастровая стоимость: - Вид сделки: Продажа Площадь: 900 м² Начальная цена: - руб. Дата завершения: 27.11.2025 Подробнее: ГИС ТОРГИ #госземля #земляотгосударства #земля #земельныйучасток #земельныеторги #торги #аукцион #продажаземли #продажа #пермскийкрай

Название: Предоставление земельного участка в собственность в соответствии со ст. 39.18 Земельного кодекса Российской Федерации.

Канал: Госземля Пермский край

Область: край Пермский

Район: м.о. Осинский

Населенный пункт: г Оса

Локация: Смотреть на карте

ВРИ: Для индивидуального жилищного строительства

Кадастровый номер: 59:29:0010363:542

Кадастровая стоимость: -

Вид сделки: Продажа

Площадь: 900 м²

Начальная цена: - руб.

Дата завершения: 27.11.2025

Подробнее: ГИС ТОРГИ

#госземля #земляотгосударства #земля #земельныйучасток #земельныеторги #торги #аукцион #продажаземли #продажа #пермскийкрай