Добавить в корзинуПозвонить
Найти в Дзене
ГосземляРФ

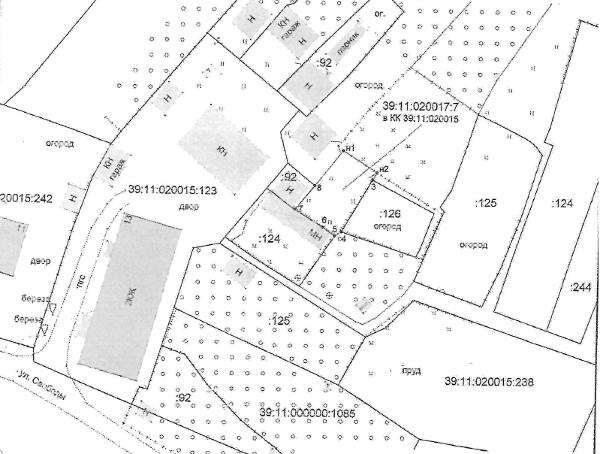
Название: Земельный участок из земель населенных пунктов с кадастровым номером 39:11:020017:7 уточняемый в КК 39:11:020015 уточненной

Название: Земельный участок из земель населенных пунктов с кадастровым номером 39:11:020017:7 уточняемый в КК 39:11:020015 уточненной площадью 90,0 кв.м, с разрешенным использованием «для ведения личного подсобного хозяйства», местоположение: Калининградская область, Правдинский район, п. Железнодорожный, ул. Свободы, в 32 м на северо-восток от д. 13. Канал: Госземля Калининградская область Область: обл Калининградская Район: м.о. Правдинский Населенный пункт: п Железнодорожный, ул Свободы в 32 м на северо-восток от д. 13. Локация: Смотреть на карте ВРИ: Для ведения личного подсобного хозяйства (приусадебный земельный участок) Кадастровый номер: 39:11:020017:7 Кадастровая стоимость: - Вид сделки: Аренда Площадь: 90 м² Начальная цена: - руб. Дата завершения: 21.11.2025 Подробнее: ГИС ТОРГИ #госземля #земляотгосударства #земля #земельныйучасток #земельныеторги #торги #аукцион #арендаземли #аренда #калининградскаяобласть

Название: Земельный участок из земель населенных пунктов с кадастровым номером 39:11:020017:7 уточняемый в КК 39:11:020015 уточненной площадью 90,0 кв.м, с разрешенным использованием «для ведения личного подсобного хозяйства», местоположение: Калининградская область, Правдинский район, п. Железнодорожный, ул. Свободы, в 32 м на северо-восток от д. 13.

Канал: Госземля Калининградская область

Область: обл Калининградская

Район: м.о. Правдинский

Населенный пункт: п Железнодорожный, ул Свободы в 32 м на северо-восток от д. 13.

Локация: Смотреть на карте

ВРИ: Для ведения личного подсобного хозяйства (приусадебный земельный участок)

Кадастровый номер: 39:11:020017:7

Кадастровая стоимость: -

Вид сделки: Аренда

Площадь: 90 м²

Начальная цена: - руб.

Дата завершения: 21.11.2025

Подробнее: ГИС ТОРГИ

#госземля #земляотгосударства #земля #земельныйучасток #земельныеторги #торги #аукцион #арендаземли #аренда #калининградскаяобласть