Добавить в корзинуПозвонить
Найти в Дзене
ГосземляРФ

Название: Земельный участок с местоположением: Хабаровский край, г

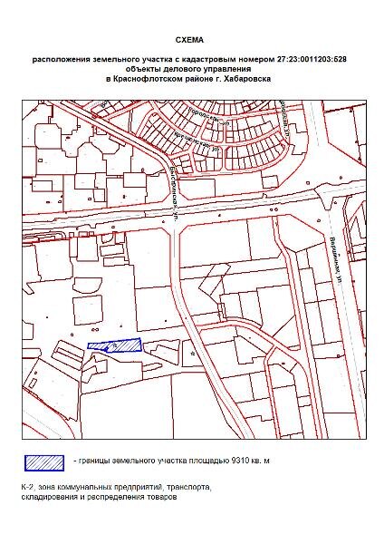
Название: Земельный участок с местоположением: Хабаровский край, г. Хабаровск, Краснофлотский р-н, ул. Тихоокеанская. Вид разрешенного использования – деловое управление. Кадастровый номер - 27:23:0011203:528 Площадь – 9 310 кв. м Форма собственности – неразграниченная Категория земель - земли населенных пунктов. Канал: Госземля Хабаровский край Область: край Хабаровский Район: г.о. город Хабаровск Населенный пункт: г Хабаровск, ул Тихоокеанская Локация: Смотреть на карте ВРИ: Деловое управление Кадастровый номер: 27:23:0011203:528 Кадастровая стоимость: 10476636.10 Вид сделки: Аренда Площадь: 9310 м² Начальная цена: 4990800.00 руб. Дата завершения: 10.11.2025 Подробнее: ГИС ТОРГИ #госземля #земляотгосударства #земля #земельныйучасток #земельныеторги #торги #аукцион #арендаземли #аренда #хабаровскийкрай

Название: Земельный участок с местоположением: Хабаровский край, г. Хабаровск, Краснофлотский р-н, ул. Тихоокеанская. Вид разрешенного использования – деловое управление. Кадастровый номер - 27:23:0011203:528 Площадь – 9 310 кв. м Форма собственности – неразграниченная Категория земель - земли населенных пунктов.

Канал: Госземля Хабаровский край

Область: край Хабаровский

Район: г.о. город Хабаровск

Населенный пункт: г Хабаровск, ул Тихоокеанская

Локация: Смотреть на карте

ВРИ: Деловое управление

Кадастровый номер: 27:23:0011203:528

Кадастровая стоимость: 10476636.10

Вид сделки: Аренда

Площадь: 9310 м²

Начальная цена: 4990800.00 руб.

Дата завершения: 10.11.2025

Подробнее: ГИС ТОРГИ

#госземля #земляотгосударства #земля #земельныйучасток #земельныеторги #торги #аукцион #арендаземли #аренда #хабаровскийкрай