Найти в Дзене
ГосземляРФ

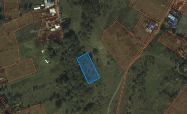
Название: «Земли населенных пунктов», расположенный по адресу: Краснодарский край, Лабинский район, ст-ца Владимирская, ул

Название: «Земли населенных пунктов», расположенный по адресу: Краснодарский край, Лабинский район, ст-ца Владимирская, ул. Советская: кадастровый номер 23:18:0703012:469; площадь: 1570 кв. м; разрешенное использование: «для ведения личного подсобного хозяйства (приусадебный земельный участок)»; Срок аренды земельного участка: 20 лет. Канал: Госземля Краснодарский край Область: край Краснодарский Лабинский район Район: ст-ца Владимирская Населенный пункт: ул. Советская Локация: Смотреть на карте ВРИ: Для ведения личного подсобного хозяйства (приусадебный земельный участок) Кадастровый номер: 23:18:0703012:469 Кадастровая стоимость: - Вид сделки: Аренда Площадь: 1570 м² Начальная цена: 4712.00 руб. Дата завершения: 18.11.2025 Подробнее: ГИС ТОРГИ #госземля #земляотгосударства #земля #земельныйучасток #земельныеторги #торги #аукцион #арендаземли #аренда #краснодарскийкрай

Название: «Земли населенных пунктов», расположенный по адресу: Краснодарский край, Лабинский район, ст-ца Владимирская, ул. Советская: кадастровый номер 23:18:0703012:469; площадь: 1570 кв. м; разрешенное использование: «для ведения личного подсобного хозяйства (приусадебный земельный участок)»; Срок аренды земельного участка: 20 лет.

Канал: Госземля Краснодарский край

Область: край Краснодарский Лабинский район

Район: ст-ца Владимирская

Населенный пункт: ул. Советская

Локация: Смотреть на карте

ВРИ: Для ведения личного подсобного хозяйства (приусадебный земельный участок)

Кадастровый номер: 23:18:0703012:469

Кадастровая стоимость: -

Вид сделки: Аренда

Площадь: 1570 м²

Начальная цена: 4712.00 руб.

Дата завершения: 18.11.2025

Подробнее: ГИС ТОРГИ

#госземля #земляотгосударства #земля #земельныйучасток #земельныеторги #торги #аукцион #арендаземли #аренда #краснодарскийкрай