Добавить в корзинуПозвонить
Найти в Дзене
ГосземляРФ

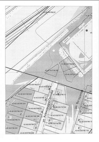
Название: Предоставление земельного участка с кадастровым номером 43:40:000799:281 в собственность для индивидуального жилищного

Название: Предоставление земельного участка с кадастровым номером 43:40:000799:281 в собственность для индивидуального жилищного строительства. Дополнительные сведения: земельный участок расположен во 2, 3 поясе зоны санитарной охраны источника водоснабжения. Канал: Госземля Кировская область Область: обл Кировская Район: г.о. город Киров Населенный пункт: г Киров, ул Александра Орлова Российская Федерация, Кировская обл., г.о. город Киров, г. Киров, ул. Александра Орлова, з/у 29. Локация: Смотреть на карте ВРИ: Для индивидуального жилищного строительства Кадастровый номер: 43:40:000799:281 Кадастровая стоимость: 362663.39 Вид сделки: Продажа Площадь: 1167 м² Начальная цена: - руб. Дата завершения: 05.11.2025 Подробнее: ГИС ТОРГИ #госземля #земляотгосударства #земля #земельныйучасток #земельныеторги #торги #аукцион #продажаземли #продажа #кировскаяобласть

Название: Предоставление земельного участка с кадастровым номером 43:40:000799:281 в собственность для индивидуального жилищного строительства. Дополнительные сведения: земельный участок расположен во 2, 3 поясе зоны санитарной охраны источника водоснабжения.

Канал: Госземля Кировская область

Область: обл Кировская

Район: г.о. город Киров

Населенный пункт: г Киров, ул Александра Орлова Российская Федерация, Кировская обл., г.о. город Киров, г. Киров, ул. Александра Орлова, з/у 29.

Локация: Смотреть на карте

ВРИ: Для индивидуального жилищного строительства

Кадастровый номер: 43:40:000799:281

Кадастровая стоимость: 362663.39

Вид сделки: Продажа

Площадь: 1167 м²

Начальная цена: - руб.

Дата завершения: 05.11.2025

Подробнее: ГИС ТОРГИ

#госземля #земляотгосударства #земля #земельныйучасток #земельныеторги #торги #аукцион #продажаземли #продажа #кировскаяобласть