Добавить в корзинуПозвонить
Найти в Дзене
ГосземляРФ

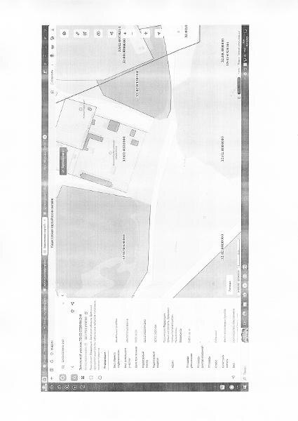
Название: Аренда 32:02:0320104:240

Название: Аренда 32:02:0320104:240 Канал: Госземля Брянская область Область: обл Брянская Район: м.р-н Брянский Населенный пункт: с.п. Нетьинское, п Нетьинка Локация: Смотреть на карте ВРИ: Обеспечение сельскохозяйственного производства Кадастровый номер: 32:02:0320104:240 Кадастровая стоимость: 390713.26 Вид сделки: Аренда Площадь: 5894 м² Начальная цена: 769205.00 руб. Дата завершения: 21.10.2025 Подробнее: ГИС ТОРГИ #госземля #земляотгосударства #земля #земельныйучасток #земельныеторги #торги #аукцион #арендаземли #аренда #брянскаяобласть

Название: Аренда 32:02:0320104:240

Канал: Госземля Брянская область

Область: обл Брянская

Район: м.р-н Брянский

Населенный пункт: с.п. Нетьинское, п Нетьинка

Локация: Смотреть на карте

ВРИ: Обеспечение сельскохозяйственного производства

Кадастровый номер: 32:02:0320104:240

Кадастровая стоимость: 390713.26

Вид сделки: Аренда

Площадь: 5894 м²

Начальная цена: 769205.00 руб.

Дата завершения: 21.10.2025

Подробнее: ГИС ТОРГИ

#госземля #земляотгосударства #земля #земельныйучасток #земельныеторги #торги #аукцион #арендаземли #аренда #брянскаяобласть