Добавить в корзинуПозвонить
Найти в Дзене
ГосземляРФ

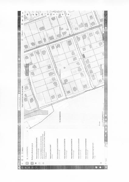
Название: Аренда 32:02:0160709:792

Название: Аренда 32:02:0160709:792 Канал: Госземля Брянская область Область: обл Брянская Район: м.р-н Брянский Населенный пункт: с.п. Супоневское Локация: Смотреть на карте ВРИ: Для ведения личного подсобного хозяйства (приусадебный земельный участок) Кадастровый номер: 32:02:0160709:792 Кадастровая стоимость: 779042.76 Вид сделки: Аренда Площадь: 1041 м² Начальная цена: 245439.00 руб. Дата завершения: 28.10.2025 Подробнее: ГИС ТОРГИ #госземля #земляотгосударства #земля #земельныйучасток #земельныеторги #торги #аукцион #арендаземли #аренда #брянскаяобласть

Название: Аренда 32:02:0160709:792

Канал: Госземля Брянская область

Область: обл Брянская

Район: м.р-н Брянский

Населенный пункт: с.п. Супоневское

Локация: Смотреть на карте

ВРИ: Для ведения личного подсобного хозяйства (приусадебный земельный участок)

Кадастровый номер: 32:02:0160709:792

Кадастровая стоимость: 779042.76

Вид сделки: Аренда

Площадь: 1041 м²

Начальная цена: 245439.00 руб.

Дата завершения: 28.10.2025

Подробнее: ГИС ТОРГИ

#госземля #земляотгосударства #земля #земельныйучасток #земельныеторги #торги #аукцион #арендаземли #аренда #брянскаяобласть