Добавить в корзинуПозвонить
Найти в Дзене
ГосземляРФ

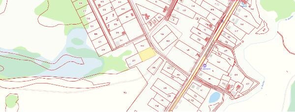
Название: 72:17:2307001:595

Название: 72:17:2307001:595 Канал: Госземля Тюменская область Область: обл Тюменская Район: м.р-н Тюменский Населенный пункт: с.п. Червишевское, с Мичурино, ул Новая Локация: Смотреть на карте ВРИ: Для индивидуального жилищного строительства Кадастровый номер: 72:17:2307001:595 Кадастровая стоимость: 510026.49 Вид сделки: Аренда Площадь: 1647 м² Начальная цена: 51002.00 руб. Дата завершения: 15.10.2025 Подробнее: ГИС ТОРГИ #госземля #земляотгосударства #земля #земельныйучасток #земельныеторги #торги #аукцион #арендаземли #аренда #тюменскаяобласть

Название: 72:17:2307001:595

Канал: Госземля Тюменская область

Область: обл Тюменская

Район: м.р-н Тюменский

Населенный пункт: с.п. Червишевское, с Мичурино, ул Новая

Локация: Смотреть на карте

ВРИ: Для индивидуального жилищного строительства

Кадастровый номер: 72:17:2307001:595

Кадастровая стоимость: 510026.49

Вид сделки: Аренда

Площадь: 1647 м²

Начальная цена: 51002.00 руб.

Дата завершения: 15.10.2025

Подробнее: ГИС ТОРГИ

#госземля #земляотгосударства #земля #земельныйучасток #земельныеторги #торги #аукцион #арендаземли #аренда #тюменскаяобласть