Добавить в корзинуПозвонить
Найти в Дзене
ГосземляРФ

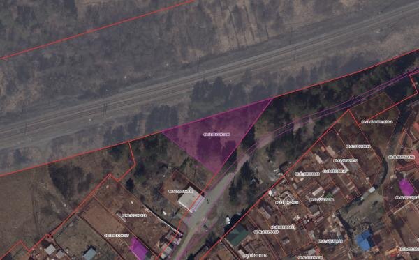
Название: Аренда земельного участка из земель населенных пунктов с кадастровым номером 66:41:0201003:144, местоположение: Свердловская

Название: Аренда земельного участка из земель населенных пунктов с кадастровым номером 66:41:0201003:144, местоположение: Свердловская область, г. Екатеринбург, ул. Баранчинская, разрешенное использование – для индивидуального жилищного строительства, общей площадью 1 593 кв. метра, сроком на 20 (двадцать) лет. Дата размещения извещения в соответствии с подпунктом 1 пункта 1 статьи 39.18 Земельного кодекса Российской Федерации - 29.04.2025. Канал: Госземля Свердловская область Область: - Район: - Населенный пункт: - Локация: Смотреть на карте ВРИ: Для индивидуального жилищного строительства Кадастровый номер: 66:41:0201003:144 Кадастровая стоимость: 1291158.36 Вид сделки: Аренда Площадь: 1593 м² Начальная цена: 64557.00 руб. Дата завершения: 14.10.2025 Подробнее: ГИС ТОРГИ #госземля #земляотгосударства #земля #земельныйучасток #земельныеторги #торги #аукцион #арендаземли #аренда #свердловскаяобласть

Название: Аренда земельного участка из земель населенных пунктов с кадастровым номером 66:41:0201003:144, местоположение: Свердловская область, г. Екатеринбург, ул. Баранчинская, разрешенное использование – для индивидуального жилищного строительства, общей площадью 1 593 кв. метра, сроком на 20 (двадцать) лет. Дата размещения извещения в соответствии с подпунктом 1 пункта 1 статьи 39.18 Земельного кодекса Российской Федерации - 29.04.2025.

Канал: Госземля Свердловская область

Область: -

Район: -

Населенный пункт: -

Локация: Смотреть на карте

ВРИ: Для индивидуального жилищного строительства

Кадастровый номер: 66:41:0201003:144

Кадастровая стоимость: 1291158.36

Вид сделки: Аренда

Площадь: 1593 м²

Начальная цена: 64557.00 руб.

Дата завершения: 14.10.2025

Подробнее: ГИС ТОРГИ

#госземля #земляотгосударства #земля #земельныйучасток #земельныеторги #торги #аукцион #арендаземли #аренда #свердловскаяобласть

-2