Найти в Дзене
Роман Щукин

Супертайфун «Рагаса» пятой, наивысшей категории, набирает мощь на подходе к Гонконгу

Супертайфун «Рагаса» пятой, наивысшей категории, набирает мощь на подходе к Гонконгу. По данным метеорологов, скорость ветра в эпицентре шторма достигла 290 км/ч, а давление в его центре упало до 905 мбар. Специалисты отмечают, что такая сила стихии близка к теоретическому максимуму, возможному на нашей планете. «Щукин и всё»

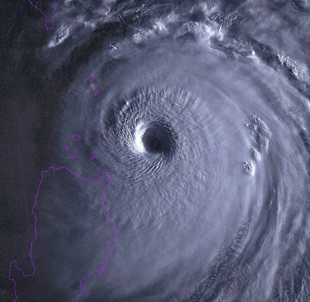
Супертайфун «Рагаса» пятой, наивысшей категории, набирает мощь на подходе к Гонконгу.

По данным метеорологов, скорость ветра в эпицентре шторма достигла 290 км/ч, а давление в его центре упало до 905 мбар. Специалисты отмечают, что такая сила стихии близка к теоретическому максимуму, возможному на нашей планете.

«Щукин и всё»