Найти в Дзене
ГосземляРФ

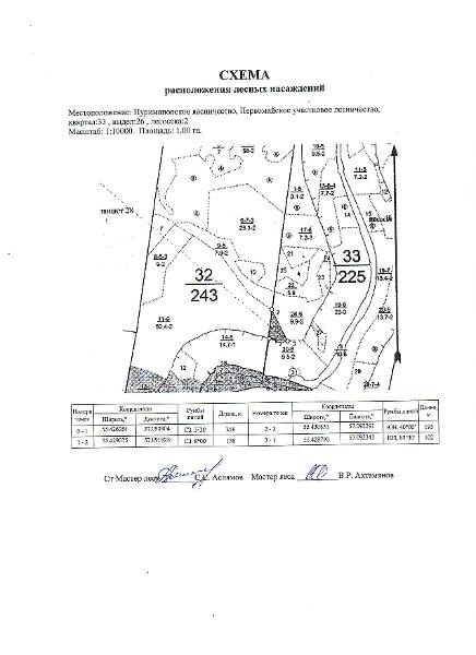
Название: Лесные насаждения, расположенные на территории: Республика Башкортостан, Нуримановское лесничество, Первомайское участковое

Название: Лесные насаждения, расположенные на территории: Республика Башкортостан, Нуримановское лесничество, Первомайское участковое лесничество, квартал 33, выдел 26 делянка 2, на площади 1,0 га, объем вырубаемой древесины 173 куб.м Канал: Госземля Республика Башкортостан Область: - Район: - Населенный пункт: - Локация: Смотреть на карте ВРИ: Заготовка древесины Кадастровый номер: 02:41:000000:245 Кадастровая стоимость: - Вид сделки: Продажа Площадь: 10000 м² Начальная цена: 69995.00 руб. Дата завершения: 21.10.2025 Подробнее: ГИС ТОРГИ #госземля #земляотгосударства #земля #земельныйучасток #земельныеторги #торги #аукцион #продажаземли #продажа #республикабашкортостан

Название: Лесные насаждения, расположенные на территории: Республика Башкортостан, Нуримановское лесничество, Первомайское участковое лесничество, квартал 33, выдел 26 делянка 2, на площади 1,0 га, объем вырубаемой древесины 173 куб.м

Канал: Госземля Республика Башкортостан

Область: -

Район: -

Населенный пункт: -

Локация: Смотреть на карте

ВРИ: Заготовка древесины

Кадастровый номер: 02:41:000000:245

Кадастровая стоимость: -

Вид сделки: Продажа

Площадь: 10000 м²

Начальная цена: 69995.00 руб.

Дата завершения: 21.10.2025

Подробнее: ГИС ТОРГИ

#госземля #земляотгосударства #земля #земельныйучасток #земельныеторги #торги #аукцион #продажаземли #продажа #республикабашкортостан