Добавить в корзинуПозвонить
Найти в Дзене
ГосземляРФ

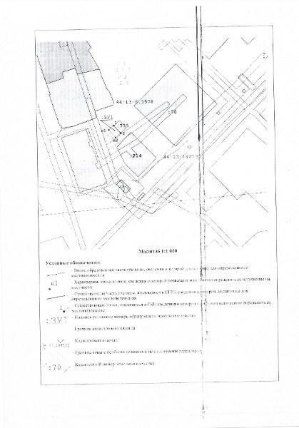
Название: Земельный участок с кадастровым номером 44:13:140535:336 площадью 39 кд

Название: Земельный участок с кадастровым номером 44:13:140535:336 площадью 39 кд.м. по адресу: Костромская область, Нерехтский район, город Нерехта, улица 22 Партсъезда, земельный участок 18д Канал: Госземля Костромская область Область: обл Костромская Район: м.р-н Муниципальный район город Нерехта и Нерехтский район Населенный пункт: г.п. город Нерехта, г Нерехта, ул 22 Партсъезда, з/у 18д Локация: Смотреть на карте ВРИ: Размещение гаражей для собственных нужд Кадастровый номер: 44:13:140535:336 Кадастровая стоимость: 8879.13 Вид сделки: Аренда Площадь: 39 м² Начальная цена: 3020.00 руб. Дата завершения: 15.10.2025 Подробнее: ГИС ТОРГИ #госземля #земляотгосударства #земля #земельныйучасток #земельныеторги #торги #аукцион #арендаземли #аренда #костромскаяобласть

Название: Земельный участок с кадастровым номером 44:13:140535:336 площадью 39 кд.м. по адресу: Костромская область, Нерехтский район, город Нерехта, улица 22 Партсъезда, земельный участок 18д

Канал: Госземля Костромская область

Область: обл Костромская

Район: м.р-н Муниципальный район город Нерехта и Нерехтский район

Населенный пункт: г.п. город Нерехта, г Нерехта, ул 22 Партсъезда, з/у 18д

Локация: Смотреть на карте

ВРИ: Размещение гаражей для собственных нужд

Кадастровый номер: 44:13:140535:336

Кадастровая стоимость: 8879.13

Вид сделки: Аренда

Площадь: 39 м²

Начальная цена: 3020.00 руб.

Дата завершения: 15.10.2025

Подробнее: ГИС ТОРГИ

#госземля #земляотгосударства #земля #земельныйучасток #земельныеторги #торги #аукцион #арендаземли #аренда #костромскаяобласть