Добавить в корзинуПозвонить
Найти в Дзене
ГосземляРФ

Название: Земельный участок, расположенный по адресу: Ярославская область, Некрасовский муниципальный район, сельское поселение

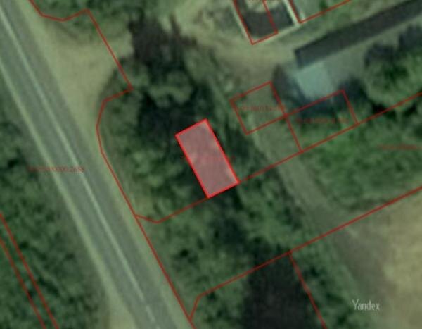
Название: Земельный участок, расположенный по адресу: Ярославская область, Некрасовский муниципальный район, сельское поселение Некрасовское, рабочий поселок Некрасовское, улица Малосольская, земельный участок 114/8, площадью 75 кв.м., с кадастровым номером 76:09:160114:565, категория земель: земли населенных пунктов, вид разрешенного использования: размещение гаражей для собственных нужд Канал: Госземля Ярославская область Область: - Район: - Населенный пункт: - Локация: Смотреть на карте ВРИ: Размещение гаражей для собственных нужд Кадастровый номер: 76:09:160114:565 Кадастровая стоимость: 32344.50 Вид сделки: Аренда Площадь: 75 м² Начальная цена: 1940.00 руб. Дата завершения: 31.10.2025 Подробнее: ГИС ТОРГИ #госземля #земляотгосударства #земля #земельныйучасток #земельныеторги #торги #аукцион #арендаземли #аренда #ярославскаяобласть

Название: Земельный участок, расположенный по адресу: Ярославская область, Некрасовский муниципальный район, сельское поселение Некрасовское, рабочий поселок Некрасовское, улица Малосольская, земельный участок 114/8, площадью 75 кв.м., с кадастровым номером 76:09:160114:565, категория земель: земли населенных пунктов, вид разрешенного использования: размещение гаражей для собственных нужд

Канал: Госземля Ярославская область

Область: -

Район: -

Населенный пункт: -

Локация: Смотреть на карте

ВРИ: Размещение гаражей для собственных нужд

Кадастровый номер: 76:09:160114:565

Кадастровая стоимость: 32344.50

Вид сделки: Аренда

Площадь: 75 м²

Начальная цена: 1940.00 руб.

Дата завершения: 31.10.2025

Подробнее: ГИС ТОРГИ

#госземля #земляотгосударства #земля #земельныйучасток #земельныеторги #торги #аукцион #арендаземли #аренда #ярославскаяобласть