Добавить в корзинуПозвонить
Найти в Дзене
ГосземляРФ

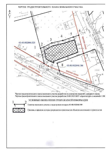
Название: Земельный участок с кадастровым номером 43:40:002846:549

Название: Земельный участок с кадастровым номером 43:40:002846:549. Адрес: Российская Федерация, Кировская обл., городской округ город Киров, деревня Дряхловщина, переулок Хозяйский, земельный участок 14а, категория земель – земли населенных пунктов, вид разрешенного использования – для индивидуального жилищного строительства, территориальная зона – зона малоэтажной усадебной застройки сельского типа (Ж-С), площадь - 811+/-3 кв.м. Канал: Госземля Кировская область Область: обл Кировская Район: г.о. город Киров Населенный пункт: д Дряхловщина, пер Хозяйский, з/у 14а Локация: Смотреть на карте ВРИ: - Кадастровый номер: 43:40:002846:549 Кадастровая стоимость: 117600.64 Вид сделки: Аренда Площадь: - Начальная цена: 58800.00 руб. Дата завершения: 06.10.2025 Подробнее: ГИС ТОРГИ #госземля #земляотгосударства #земля #земельныйучасток #земельныеторги #торги #аукцион #арендаземли #аренда #кировскаяобласть

Название: Земельный участок с кадастровым номером 43:40:002846:549. Адрес: Российская Федерация, Кировская обл., городской округ город Киров, деревня Дряхловщина, переулок Хозяйский, земельный участок 14а, категория земель – земли населенных пунктов, вид разрешенного использования – для индивидуального жилищного строительства, территориальная зона – зона малоэтажной усадебной застройки сельского типа (Ж-С), площадь - 811+/-3 кв.м.

Канал: Госземля Кировская область

Область: обл Кировская

Район: г.о. город Киров

Населенный пункт: д Дряхловщина, пер Хозяйский, з/у 14а

Локация: Смотреть на карте

ВРИ: -

Кадастровый номер: 43:40:002846:549

Кадастровая стоимость: 117600.64

Вид сделки: Аренда

Площадь: -

Начальная цена: 58800.00 руб.

Дата завершения: 06.10.2025

Подробнее: ГИС ТОРГИ

#госземля #земляотгосударства #земля #земельныйучасток #земельныеторги #торги #аукцион #арендаземли #аренда #кировскаяобласть

-2