Найти в Дзене
ГосземляРФ

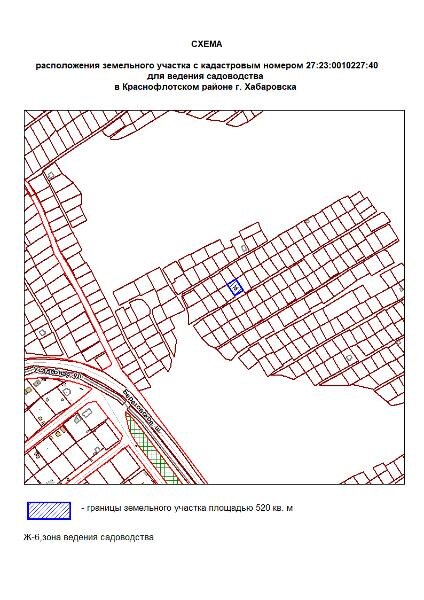
Название: Земельный участок с местоположением: Хабаровский край, г

Название: Земельный участок с местоположением: Хабаровский край, г. Хабаровск, соо «Урожай» (п. Березовка), участок 93. Вид разрешенного использования – ведение садоводства. Кадастровый номер - 27:23:0010227:40 Площадь - 520 кв. м Форма собственности – муниципальная (дата, номер регистрации: от 01.08.2006 № 27-27-01/048/2006-837). Категория земель - земли населенных пунктов. Канал: Госземля Хабаровский край Область: край Хабаровский г. Хабаровск Район: соо «Урожай» (п. Березовка) Населенный пункт: участок 93 Локация: Смотреть на карте ВРИ: Ведение садоводства Кадастровый номер: 27:23:0010227:40 Кадастровая стоимость: 137020.00 Вид сделки: Аренда Площадь: 520 м² Начальная цена: 68510.00 руб. Дата завершения: 29.09.2025 Подробнее: ГИС ТОРГИ #госземля #земляотгосударства #земля #земельныйучасток #земельныеторги #торги #аукцион #арендаземли #аренда #хабаровскийкрай

Название: Земельный участок с местоположением: Хабаровский край, г. Хабаровск, соо «Урожай» (п. Березовка), участок 93. Вид разрешенного использования – ведение садоводства. Кадастровый номер - 27:23:0010227:40 Площадь - 520 кв. м Форма собственности – муниципальная (дата, номер регистрации: от 01.08.2006 № 27-27-01/048/2006-837). Категория земель - земли населенных пунктов.

Канал: Госземля Хабаровский край

Область: край Хабаровский г. Хабаровск

Район: соо «Урожай» (п. Березовка)

Населенный пункт: участок 93

Локация: Смотреть на карте

ВРИ: Ведение садоводства

Кадастровый номер: 27:23:0010227:40

Кадастровая стоимость: 137020.00

Вид сделки: Аренда

Площадь: 520 м²

Начальная цена: 68510.00 руб.

Дата завершения: 29.09.2025

Подробнее: ГИС ТОРГИ

#госземля #земляотгосударства #земля #земельныйучасток #земельныеторги #торги #аукцион #арендаземли #аренда #хабаровскийкрай