Добавить в корзинуПозвонить
Найти в Дзене
ГосземляРФ

Название: Земельный участок неразграниченной государственной собственности, из земель населенных пунктов, с кадастровым номером

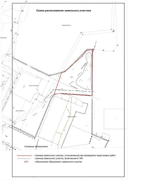
Название: Земельный участок неразграниченной государственной собственности, из земель населенных пунктов, с кадастровым номером 39:04:010130:964, площадью 759 кв.м., разрешенное использование: пищевая промышленность. Предусматривается размещение зданий и сооружений адрес Российская Федерация, Калининградская обл., Гусевский г.о., г. Гусев, ул. Толстого, з/у 10б. Земельный участок находится в территориальной зоне: П-3 - зона размещения производственных объектов IV, V классов опасности. Канал: Госземля Калининградская область Область: обл Калининградская Гусевский г.о. Район: г. Гусев Населенный пункт: ул. Толстого, з/у 10б Локация: Смотреть на карте ВРИ: Пищевая промышленность Кадастровый номер: 39:04:010130:964 Кадастровая стоимость: 729376.23 Вид сделки: Аренда Площадь: 759 м² Начальная цена: 59000.00 руб. Дата завершения: 29.09.2025 Подробнее: ГИС ТОРГИ #госземля #земляотгосударства #земля #земельныйучасток #земельныеторги #торги #аукцион #арендаземли #аренда #калининградскаяобласть

Название: Земельный участок неразграниченной государственной собственности, из земель населенных пунктов, с кадастровым номером 39:04:010130:964, площадью 759 кв.м., разрешенное использование: пищевая промышленность. Предусматривается размещение зданий и сооружений адрес Российская Федерация, Калининградская обл., Гусевский г.о., г. Гусев, ул. Толстого, з/у 10б. Земельный участок находится в территориальной зоне: П-3 - зона размещения производственных объектов IV, V классов опасности.

Канал: Госземля Калининградская область

Область: обл Калининградская Гусевский г.о.

Район: г. Гусев

Населенный пункт: ул. Толстого, з/у 10б

Локация: Смотреть на карте

ВРИ: Пищевая промышленность

Кадастровый номер: 39:04:010130:964

Кадастровая стоимость: 729376.23

Вид сделки: Аренда

Площадь: 759 м²

Начальная цена: 59000.00 руб.

Дата завершения: 29.09.2025

Подробнее: ГИС ТОРГИ

#госземля #земляотгосударства #земля #земельныйучасток #земельныеторги #торги #аукцион #арендаземли #аренда #калининградскаяобласть