Добавить в корзинуПозвонить
Найти в Дзене
ГосземляРФ

Название: Лесные насаждения расположенные на территории: Республика Башкортостан, Дюртюлинское лесничество, Яркеевское участковое

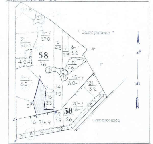
Название: Лесные насаждения расположенные на территории: Республика Башкортостан, Дюртюлинское лесничество, Яркеевское участковое лесничество, квартал 58, выдел 5, делянка 3, на площади 3,9 га, объем вырубаемой древесины 332 куб.м Канал: Госземля Республика Башкортостан Область: - Район: - Населенный пункт: - Локация: Смотреть на карте ВРИ: Заготовка древесины Кадастровый номер: 02:27:000000:55 Кадастровая стоимость: - Вид сделки: Продажа Площадь: 39000 м² Начальная цена: 12135.00 руб. Дата завершения: 24.09.2025 Подробнее: ГИС ТОРГИ #госземля #земляотгосударства #земля #земельныйучасток #земельныеторги #торги #аукцион #продажаземли #продажа #республикабашкортостан

Название: Лесные насаждения расположенные на территории: Республика Башкортостан, Дюртюлинское лесничество, Яркеевское участковое лесничество, квартал 58, выдел 5, делянка 3, на площади 3,9 га, объем вырубаемой древесины 332 куб.м

Канал: Госземля Республика Башкортостан

Область: -

Район: -

Населенный пункт: -

Локация: Смотреть на карте

ВРИ: Заготовка древесины

Кадастровый номер: 02:27:000000:55

Кадастровая стоимость: -

Вид сделки: Продажа

Площадь: 39000 м²

Начальная цена: 12135.00 руб.

Дата завершения: 24.09.2025

Подробнее: ГИС ТОРГИ

#госземля #земляотгосударства #земля #земельныйучасток #земельныеторги #торги #аукцион #продажаземли #продажа #республикабашкортостан