Добавить в корзинуПозвонить
Найти в Дзене
ГосземляРФ

Название: земельный участок из земель населенных пунктов с местоположением:: Российская Федерация, Приморский край, Находкинский городской

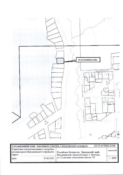
Название: земельный участок из земель населенных пунктов с местоположением:: Российская Федерация, Приморский край, Находкинский городской округ, г. Находка, ул. Солнечная, земельный участок 172, площадью 1500 кв.м, кадастровый номер 25:31:010403:2196, вид разрешенного использования: для индивидуального жилищного строительства (2.1.); цель использования: строительство индивидуального жилого дома Канал: Госземля Приморский край Область: край Приморский Район: г.о. Находкинский Населенный пункт: г Находка Российская Федерация, Приморский край, Находкинский городской округ, г. Находка, ул. Солнечная, земельный участок 172 Локация: Смотреть на карте ВРИ: Для индивидуального жилищного строительства Кадастровый номер: 25:31:010403:2196 Кадастровая стоимость: 618319.66 Вид сделки: Аренда Площадь: 1500 м² Начальная цена: 9274.00 руб. Дата завершения: 08.10.2025 Подробнее: ГИС ТОРГИ #госземля #земляотгосударства #земля #земельныйучасток #земельныеторги #торги #аукцион #арендаземли #аренда #прим

Название: земельный участок из земель населенных пунктов с местоположением:: Российская Федерация, Приморский край, Находкинский городской округ, г. Находка, ул. Солнечная, земельный участок 172, площадью 1500 кв.м, кадастровый номер 25:31:010403:2196, вид разрешенного использования: для индивидуального жилищного строительства (2.1.); цель использования: строительство индивидуального жилого дома

Канал: Госземля Приморский край

Область: край Приморский

Район: г.о. Находкинский

Населенный пункт: г Находка Российская Федерация, Приморский край, Находкинский городской округ, г. Находка, ул. Солнечная, земельный участок 172

Локация: Смотреть на карте

ВРИ: Для индивидуального жилищного строительства

Кадастровый номер: 25:31:010403:2196

Кадастровая стоимость: 618319.66

Вид сделки: Аренда

Площадь: 1500 м²

Начальная цена: 9274.00 руб.

Дата завершения: 08.10.2025

Подробнее: ГИС ТОРГИ

#госземля #земляотгосударства #земля #земельныйучасток #земельныеторги #торги #аукцион #арендаземли #аренда #приморскийкрай