Добавить в корзинуПозвонить
Найти в Дзене
ГосземляРФ

Название: Земельный участок, государственная собственность на который не разграничена по адресу: Российская Федерация, Ярославская область

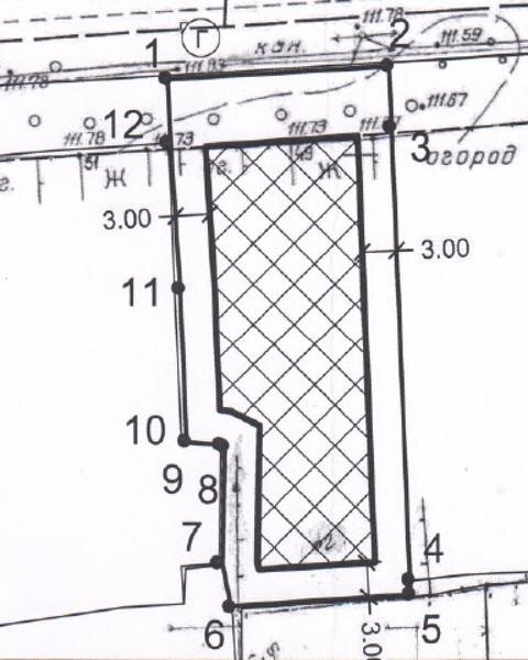
Название: Земельный участок, государственная собственность на который не разграничена по адресу: Российская Федерация, Ярославская область, г.о. город Рыбинск, г. Рыбинск, ул. Кимовская, з/у 49. Площадь земельного участка – 834±10 кв.м. Кадастровый номер – 76:20:120223:329. Разрешенное использование – для индивидуального жилищного строительства. Категория земель: земли населенных пунктов Канал: Госземля Ярославская область Область: - Район: - Населенный пункт: - Локация: Смотреть на карте ВРИ: Для индивидуального жилищного строительства Кадастровый номер: 76:20:120223:329 Кадастровая стоимость: 458983.56 Вид сделки: Продажа Площадь: 834 м² Начальная цена: 458983.00 руб. Дата завершения: 03.10.2025 Подробнее: ГИС ТОРГИ #госземля #земляотгосударства #земля #земельныйучасток #земельныеторги #торги #аукцион #продажаземли #продажа #ярославскаяобласть

Название: Земельный участок, государственная собственность на который не разграничена по адресу: Российская Федерация, Ярославская область, г.о. город Рыбинск, г. Рыбинск, ул. Кимовская, з/у 49. Площадь земельного участка – 834±10 кв.м. Кадастровый номер – 76:20:120223:329. Разрешенное использование – для индивидуального жилищного строительства. Категория земель: земли населенных пунктов

Канал: Госземля Ярославская область

Область: -

Район: -

Населенный пункт: -

Локация: Смотреть на карте

ВРИ: Для индивидуального жилищного строительства

Кадастровый номер: 76:20:120223:329

Кадастровая стоимость: 458983.56

Вид сделки: Продажа

Площадь: 834 м²

Начальная цена: 458983.00 руб.

Дата завершения: 03.10.2025

Подробнее: ГИС ТОРГИ

#госземля #земляотгосударства #земля #земельныйучасток #земельныеторги #торги #аукцион #продажаземли #продажа #ярославскаяобласть