Добавить в корзинуПозвонить
Найти в Дзене
ГосземляРФ

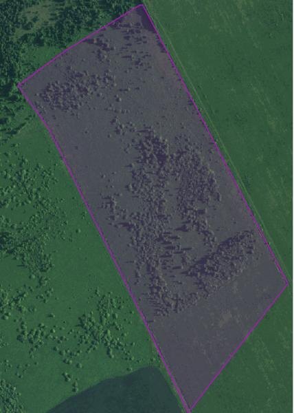
Название: Земельный участок с кадастровым номером 68:18:3205002:135 категория земель: земли сельскохозяйственного назначения

Название: Земельный участок с кадастровым номером 68:18:3205002:135 категория земель: земли сельскохозяйственного назначения, государственная собственность на который не разграничена, площадью 275177 кв.м., местоположение:Российская Федерация, Тамбовская область, муниципальный округ Сосновский, территория   Кулеватовская,  земельный участок 52, разрешенное использование: сельскохозяйственное использование. Канал: Госземля Тамбовская область Область: обл Тамбовская Район: м.о. Сосновский Населенный пункт: тер. Кулеватовская, з/у 52 Локация: Смотреть на карте ВРИ: Сельскохозяйственное использование Кадастровый номер: 68:18:3205002:135 Кадастровая стоимость: 1502466.42 Вид сделки: Аренда Площадь: 275177 м² Начальная цена: 30049.00 руб. Дата завершения: 23.09.2025 Подробнее: ГИС ТОРГИ #госземля #земляотгосударства #земля #земельныйучасток #земельныеторги #торги #аукцион #арендаземли #аренда #тамбовскаяобласть

Название: Земельный участок с кадастровым номером 68:18:3205002:135 категория земель: земли сельскохозяйственного назначения, государственная собственность на который не разграничена, площадью 275177 кв.м., местоположение:Российская Федерация, Тамбовская область, муниципальный округ Сосновский, территория   Кулеватовская,  земельный участок 52, разрешенное использование: сельскохозяйственное использование.

Канал: Госземля Тамбовская область

Область: обл Тамбовская

Район: м.о. Сосновский

Населенный пункт: тер. Кулеватовская, з/у 52

Локация: Смотреть на карте

ВРИ: Сельскохозяйственное использование

Кадастровый номер: 68:18:3205002:135

Кадастровая стоимость: 1502466.42

Вид сделки: Аренда

Площадь: 275177 м²

Начальная цена: 30049.00 руб.

Дата завершения: 23.09.2025

Подробнее: ГИС ТОРГИ

#госземля #земляотгосударства #земля #земельныйучасток #земельныеторги #торги #аукцион #арендаземли #аренда #тамбовскаяобласть