Найти в Дзене
ГосземляРФ

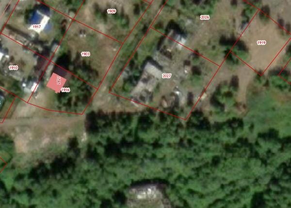
Название: Земельный участок с условным номером 51:03:0060102:891:ЗУ1

Название: Земельный участок с условным номером 51:03:0060102:891:ЗУ1 Канал: Госземля Мурманская область Область: обл Мурманская Район: м.о. Печенгский Населенный пункт: нп Корзуново Локация: Смотреть на карте ВРИ: Для индивидуального жилищного строительства Кадастровый номер: 51:03:0060102:891 Кадастровая стоимость: 357286.80 Вид сделки: Продажа Площадь: 1077 м² Начальная цена: - руб. Дата завершения: 01.10.2025 Подробнее: ГИС ТОРГИ #госземля #земляотгосударства #земля #земельныйучасток #земельныеторги #торги #аукцион #продажаземли #продажа #мурманскаяобласть

Название: Земельный участок с условным номером 51:03:0060102:891:ЗУ1

Канал: Госземля Мурманская область

Область: обл Мурманская

Район: м.о. Печенгский

Населенный пункт: нп Корзуново

Локация: Смотреть на карте

ВРИ: Для индивидуального жилищного строительства

Кадастровый номер: 51:03:0060102:891

Кадастровая стоимость: 357286.80

Вид сделки: Продажа

Площадь: 1077 м²

Начальная цена: - руб.

Дата завершения: 01.10.2025

Подробнее: ГИС ТОРГИ

#госземля #земляотгосударства #земля #земельныйучасток #земельныеторги #торги #аукцион #продажаземли #продажа #мурманскаяобласть