Добавить в корзинуПозвонить
Найти в Дзене
ГосземляРФ

Название: г

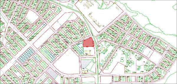
Название: г. Новосибирск, Дзержинский район, ул. Полякова Канал: Госземля Новосибирская область Область: обл Новосибирская Район: г.о. город Новосибирск Населенный пункт: г Новосибирск Локация: Смотреть на карте ВРИ: Магазины Кадастровый номер: 54:35:012280:9 Кадастровая стоимость: 47352765.66 Вид сделки: Аренда Площадь: 15906 м² Начальная цена: 5803000.00 руб. Дата завершения: 15.09.2025 Подробнее: ГИС ТОРГИ #госземля #земляотгосударства #земля #земельныйучасток #земельныеторги #торги #аукцион #арендаземли #аренда #новосибирскаяобласть

Название: г. Новосибирск, Дзержинский район, ул. Полякова

Канал: Госземля Новосибирская область

Область: обл Новосибирская

Район: г.о. город Новосибирск

Населенный пункт: г Новосибирск

Локация: Смотреть на карте

ВРИ: Магазины

Кадастровый номер: 54:35:012280:9

Кадастровая стоимость: 47352765.66

Вид сделки: Аренда

Площадь: 15906 м²

Начальная цена: 5803000.00 руб.

Дата завершения: 15.09.2025

Подробнее: ГИС ТОРГИ

#госземля #земляотгосударства #земля #земельныйучасток #земельныеторги #торги #аукцион #арендаземли #аренда #новосибирскаяобласть