Найти в Дзене
ГосземляРФ

Название: Земельный участок, находящийся в собственности городского округа город Рыбинск, расположенный по адресу: Ярославская область

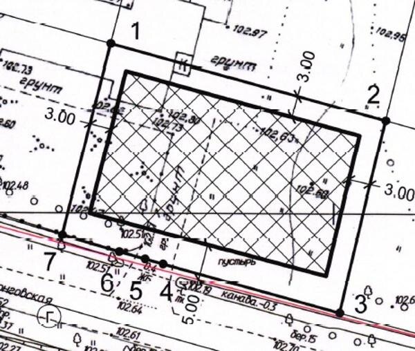
Название: Земельный участок, находящийся в собственности городского округа город Рыбинск, расположенный по адресу: Ярославская область, городской округ город Рыбинск г. Рыбинск, улица Малая Вонговская, земельный участок 20. Площадь земельного участка – 1082 ± 12 кв.м.Кадастровый номер – 76:20:030612:224.Разрешенное использование – для индивидуального жилищного строительства. Канал: Госземля Ярославская область Область: - Район: - Населенный пункт: - Локация: Смотреть на карте ВРИ: Для индивидуального жилищного строительства Кадастровый номер: 76:20:030612:224 Кадастровая стоимость: 591605.14 Вид сделки: Продажа Площадь: 1082 м² Начальная цена: 1139350.00 руб. Дата завершения: 26.09.2025 Подробнее: ГИС ТОРГИ #госземля #земляотгосударства #земля #земельныйучасток #земельныеторги #торги #аукцион #продажаземли #продажа #ярославскаяобласть

Название: Земельный участок, находящийся в собственности городского округа город Рыбинск, расположенный по адресу: Ярославская область, городской округ город Рыбинск г. Рыбинск, улица Малая Вонговская, земельный участок 20. Площадь земельного участка – 1082 ± 12 кв.м.Кадастровый номер – 76:20:030612:224.Разрешенное использование – для индивидуального жилищного строительства.

Канал: Госземля Ярославская область

Область: -

Район: -

Населенный пункт: -

Локация: Смотреть на карте

ВРИ: Для индивидуального жилищного строительства

Кадастровый номер: 76:20:030612:224

Кадастровая стоимость: 591605.14

Вид сделки: Продажа

Площадь: 1082 м²

Начальная цена: 1139350.00 руб.

Дата завершения: 26.09.2025

Подробнее: ГИС ТОРГИ

#госземля #земляотгосударства #земля #земельныйучасток #земельныеторги #торги #аукцион #продажаземли #продажа #ярославскаяобласть