Добавить в корзинуПозвонить
Найти в Дзене
ГосземляРФ

Название: Категория земель: Земли населенных пунктов

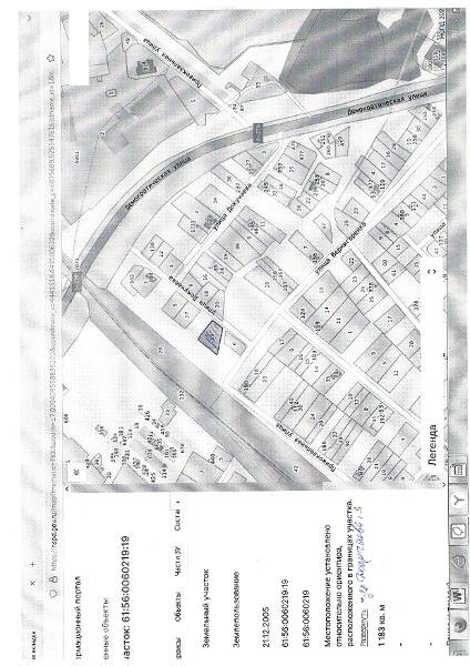
Название: Категория земель: Земли населенных пунктов. Форма собственности муниципальная собственность Канал: Госземля Ростовская область Область: обл Ростовская Район: г.о. город Новошахтинск Населенный пункт: г Новошахтинск, ул Докучаева 3 Локация: Смотреть на карте ВРИ: Для индивидуального жилищного строительства Кадастровый номер: 61:56:0060219:19 Кадастровая стоимость: 603270.85 Вид сделки: Продажа Площадь: 1183 м² Начальная цена: 306000.00 руб. Дата завершения: 21.08.2025 Подробнее: ГИС ТОРГИ #госземля #земляотгосударства #земля #земельныйучасток #земельныеторги #торги #аукцион #продажаземли #продажа #ростовскаяобласть

Название: Категория земель: Земли населенных пунктов. Форма собственности муниципальная собственность

Канал: Госземля Ростовская область

Область: обл Ростовская

Район: г.о. город Новошахтинск

Населенный пункт: г Новошахтинск, ул Докучаева 3

Локация: Смотреть на карте

ВРИ: Для индивидуального жилищного строительства

Кадастровый номер: 61:56:0060219:19

Кадастровая стоимость: 603270.85

Вид сделки: Продажа

Площадь: 1183 м²

Начальная цена: 306000.00 руб.

Дата завершения: 21.08.2025

Подробнее: ГИС ТОРГИ

#госземля #земляотгосударства #земля #земельныйучасток #земельныеторги #торги #аукцион #продажаземли #продажа #ростовскаяобласть