Добавить в корзинуПозвонить
Найти в Дзене

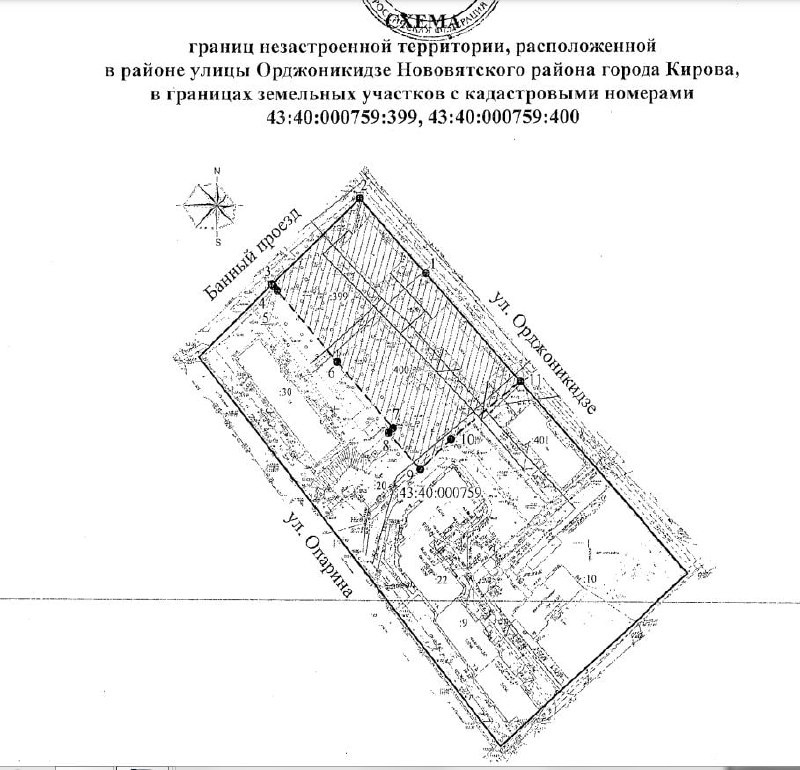
В Нововятском районе в районе улицы Орджоникидзе под застройку передадут участок площадью 4,4 тыс

В Нововятском районе в районе улицы Орджоникидзе под застройку передадут участок площадью 4,4 тыс. кв. метров. Строительство здесь будет вестись в рамках комплексного развития (КРТ) незастроенной территории. «Определить, что объем строительства (суммарная поэтажная площадь здания) составляет не менее 7 769 кв. метров и не более 9 750 кв. метров, общая площадь жилых помещений составляет не менее 5 438 кв. метров и не более 6 825 кв. метров», — говорится в постановлении администрации Кирова о принятом решении по КРТ. Высотность жилой застройки — не более 8 надземных этажей. Застройщика определят по результатам аукциона. Предельный срок реализации решения о КРТ — 6 лет со дня заключения договора.

В Нововятском районе в районе улицы Орджоникидзе под застройку передадут участок площадью 4,4 тыс. кв. метров.

Строительство здесь будет вестись в рамках комплексного развития (КРТ) незастроенной территории.

«Определить, что объем строительства (суммарная поэтажная площадь здания) составляет не менее 7 769 кв. метров и не более 9 750 кв. метров, общая площадь жилых помещений составляет не менее 5 438 кв. метров и не более 6 825 кв. метров», — говорится в постановлении администрации Кирова о принятом решении по КРТ. Высотность жилой застройки — не более 8 надземных этажей.

Застройщика определят по результатам аукциона. Предельный срок реализации решения о КРТ — 6 лет со дня заключения договора.