Добавить в корзинуПозвонить
Найти в Дзене
Рыбалка Питер и ЛО

🔥29.06.25

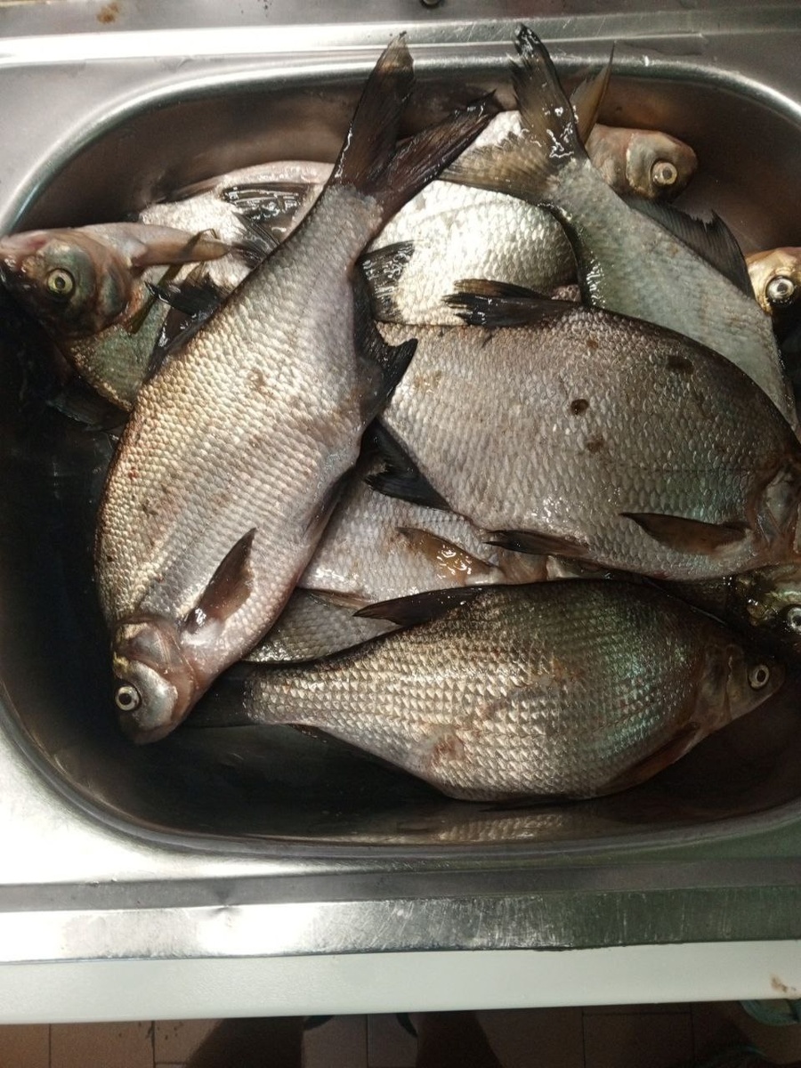
🔥29.06.25 🔥 🚩 Река Тосна С 17:00 до 21:00 . Желания идти на рыбалку не было никакого, так как день назад отсидели всю ночь без единой поклёвки, к тому же ветер и дождь был весь день. Всё таки решился пойти на вечерний клёв. Два часа сумасшедшие поклёвки, раздача была 🔥 . Не передаваемые загибы.

🔥29.06.25 🔥

🚩 Река Тосна

С 17:00 до 21:00 . Желания идти на рыбалку не было никакого, так как день назад отсидели всю ночь без единой поклёвки, к тому же ветер и дождь был весь день. Всё таки решился пойти на вечерний клёв. Два часа сумасшедшие поклёвки, раздача была 🔥 . Не передаваемые загибы.