Найти в Дзене
Patrokl.info 🌊

Жители Патрокла заметили, что при спуске с Борисенко к морю рядом с ТЦ установлены два знака, которые не соответствуют проекту

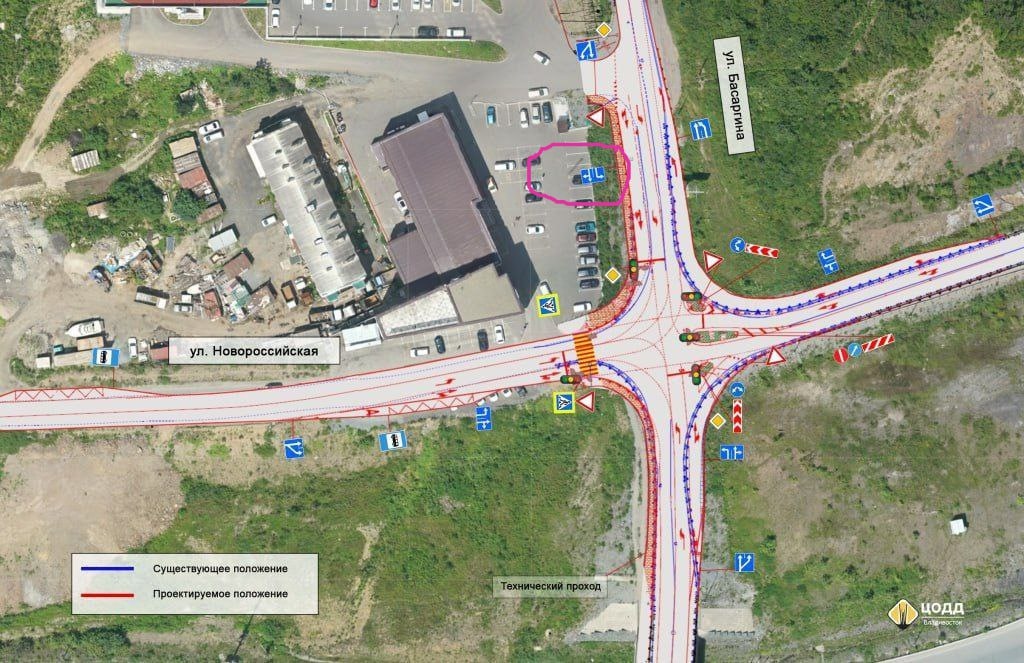
Жители Патрокла заметили, что при спуске с Борисенко к морю рядом с ТЦ установлены два знака, которые не соответствуют проекту.

В проекте было:

✔️ правый - ехать прямо к морю и направо на Новороссийскую

✔️ левый - поворот налево на развязку

А по факту поставили:

✔️ правый - ехать только направо на Новороссийскую

✔️ левый - поворот налево на развязку и прямо к морю

Сейчас подрядчик сообщил, что уже исправлено на корректный вариант.

-2
-3