Добавить в корзинуПозвонить
Найти в Дзене

Питомцу "плохо", надо идти в клинику? Бежать! Часть 2

Врачи интенсивной терапии смотрят на своих пациентов как на часы, их главная задача — выиграть время для своих пациентов, потому что в критической ситуации каждая секунда важна, и до того, как подействует лечение от основного заболевания, пациент должен быть жив. Я вас категорически приветствую, в данной статье сегодня я решил разобрать тему дыхательной недостаточности. Почему ухудшается дыхание, как распознать проблему, а главное, как помочь любимому питомцу, когда он уже находится в критическом состоянии. Животное может делать вдох и выдох, часто или редко, но это не значит, что всё хорошо и не стоит беспокоиться, при тяжелых заболеваниях дыхательной системы питомец может не получать нужного количества кислорода . Это состояние называется дыхательной недостаточностью , и оно может развиться стремительно — за минуты или часы. Главные отличительные признаки нормального дыхания от патологического: Это не просто усталость или какая-то прихоть, а скорее крик организма : «Мне не хватает
Оглавление

Врачи интенсивной терапии смотрят на своих пациентов как на часы, их главная задача — выиграть время для своих пациентов, потому что в критической ситуации каждая секунда важна, и до того, как подействует лечение от основного заболевания, пациент должен быть жив.

Я вас категорически приветствую, в данной статье сегодня я решил разобрать тему дыхательной недостаточности. Почему ухудшается дыхание, как распознать проблему, а главное, как помочь любимому питомцу, когда он уже находится в критическом состоянии.

🧠 Дыхание — это не просто движение грудной клетки

Животное может делать вдох и выдох, часто или редко, но это не значит, что всё хорошо и не стоит беспокоиться, при тяжелых заболеваниях дыхательной системы питомец может не получать нужного количества кислорода . Это состояние называется дыхательной недостаточностью , и оно может развиться стремительно — за минуты или часы.

Главные отличительные признаки нормального дыхания от патологического:

  • Бледные или синюшные слизистые оболочки
  • Учащённое, затрудненное или поверхностное дыхание
  • Замедленные реакции на внешние раздражители (животное как-будто сосредоточено только на дыхании) или наоборот неадекватно агрессивная
  • Постоянно пытается найти приток свежего воздуха

Это не просто усталость или какая-то прихоть, а скорее крик организма : «Мне не хватает кислорода».

🔍 Почему дыхание может быть не эффективным?

Причин много, и они разные. Вот одни из самых распространенных:

🫁1. Отёк лёгких

Есть две основные причины для развития отека легких- кардиогенная и некардиогенная, то есть причина может быть в сердце или иных системных заболеваниях. С патофизиологической точки зрения выглядит все одинаково:

  • Жидкость скапливается в межклеточном пространстве и альвеолах.
  • Кислород не проходит в кровь, а углекислый газ не выходит из крови.
  • Развивается дыхательная недостаточность

Какая требуется диагностика в данном случае?

  • Рентген или УЗИ являются золотыми стандартами экстренной диагностики. УЗИ покажет множество B-линий (признак отёка), а рентген покажет накопление жидкости в легочной ткани.
  • Фокусное ЭХО или полное ЭХО сердца покажет расширение камер сердца, что будет указывать на кардиогенную причину развития отека легких.
  • Уровень NT-proBNP может помочь отличить кардиогенный от не кардиогенного отёка, но этот анализ готовится относительно долго, поэтому его невозможно сразу провести.

Что делать в случае кардиогенного отека легких?

  • Фуросемид (диуретик) — помогает удалить лишнюю жидкость.
  • Кислородная терапия высокого потока через кислородную камеру или носовой катетер. В отдельных случаях, когда отек слишком сильный, может потребоваться перевод пациента на ИВЛ.
  • Поддержка сократительной способности сердца (например, пимобендан). Чаще всего требуется собакам, но в редких случаях и кошкам.
  • Поддерживающая терапия (капельница, обезболивающие, успокоительные и тд)
  • У кошек также применяют препараты, разжижающие кровь (антиагреганты), из-за высокого риска образования тромбов.

Прогноз:

Для кардиогенного отека легких чаще всего положительный. На текущий момент времени его научились быстро выявлять и начинать эффективно лечить, а главное — предотвращать (этим занимаются кардиологи).

Другой стороной монеты является некардиогенный отек, который в разы сложнее диагностируется и лечится, потому что там требуется сложить множество «если», чтобы получилось вылечить пациента. Поэтому на текущий момент времени я скажу, что прогноз осторожный.

А что делать если некардиогенный отек легких?

  • Первое и самое важное — это дать кислород пациенту. В данном случае применение аппарата ИВЛ становится уже наиболее частым методом кислородной поддержки.
  • Дальше нужно выяснить причину, которая привела к отеку легких (сепсис, органная недостаточность, асфиксия, отравление и т. д.).
  • Устранить причину, которая вызвала отек легких.
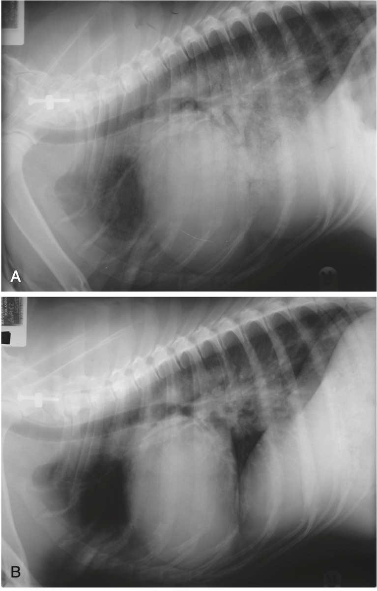
А. Боковая рентгенограмма грудной клетки собаки (доберман), показывающая выраженный отек легких, увеличенный сердечный силуэт и увеличение левого предсердия. У этой собаки была тяжелая застойная сердечная недостаточность, вторичная по отношению к дилатационной кардиомиопатии. B. Боковая рентгенограмма той же собаки через 3 дня после интенсивной диуретической, положительной инотропной и вазодилататорной терапии (фуросемид, добутамин, пимобендан и нитропруссид). Отмечено значительное улучшение альвеолярного рисунка, хотя небольшая отечность все еще присутствуют
А. Боковая рентгенограмма грудной клетки собаки (доберман), показывающая выраженный отек легких, увеличенный сердечный силуэт и увеличение левого предсердия. У этой собаки была тяжелая застойная сердечная недостаточность, вторичная по отношению к дилатационной кардиомиопатии. B. Боковая рентгенограмма той же собаки через 3 дня после интенсивной диуретической, положительной инотропной и вазодилататорной терапии (фуросемид, добутамин, пимобендан и нитропруссид). Отмечено значительное улучшение альвеолярного рисунка, хотя небольшая отечность все еще присутствуют

😷2. Бронхопневмония

  • Воспаление бронхов и лёгочной ткани.
  • Может быть вызвано бактериями, вирусами или паразитами.
  • Помимо лечения в стационаре требует длительного лечения в условиях дома

Какая требуется диагностика в данном случае?

  • Изменения в рентгенограмме могут натолкнуть врача на диагноз бронхопневмонии. После может потребоваться выполнение компьютерной томографии грудной клетки для более точного установления характера повреждения легочной ткани.
  • По анализам крови мы видим признаки системности воспалительного процесса, можем сказать, острый он или хронический, а также требуется ли экстренное назначение антибиотиков или можно подождать диагностики.
  • После проведения базовой диагностики пациент направляется на ларинготрахеобронхоскопию — это метод диагностики, при котором в дыхательные пути залазят трубкой с камерой и осматривают состояние окружающих тканей, наличие слизи и инородных предметов. В конце данной процедуры всегда проводить бронхоальвеолярный лаваж — это процедура призвана собрать материал из дыхательных путей, чтобы в последующем отправить его на цитологическое исследование, ПЦР на инфекции и т. д.

Что делать если состояние критическое?

  • Если состояние экстренное, то это 100% размещение в отделение интенсивной терапии. Дома высока вероятность погибнуть.
  • Антибиотики широкого спектра при подозрении бактериальное воспаление
  • Бронходилататоры при подозрении на бронхоспазм
  • Кислородотерапия — особенно если уровень сатурация ниже 95%
  • Поддерживающая терапия (капельница, обезболивающие и тд)

Прогноз:

Чаще всего положительный, если проблема не критически запущена.

🚬3. Астма у кошек

  • Один из самых распространённых диагнозов у кошек старше 3 лет.
  • Кошка сидит, голова вытянута, дышит часто с хрипами и напряжённо.
  • Спонтанно то возникает, то пропадает

Какая требуется диагностика в данном случае?

  • Рентген грудной клетки. На рентгенограммах мы можем увидеть усиление бронхиального рисунка и так называемые «бублики с рельсами».
  • По клиническому анализу крови чаще всего будет эозинофилия (повышение количества эозинофилов).
  • КТ и ларинготрахеоброхоскопия с забором материала на цитологическое исследование. То же самое, что и при бронхопневмонии, только инфекция не является причиной для возникновения данного состояния.
  • Положительный ответ на кортикостероиды.

Как лечить таких пациентов?

  • В моменты обострения может потребоваться размещение в отделении интенсивной терапии
  • Ингаляционные стероиды (флутиказон)
  • Бронходилататоры (тербуталин)
  • Высокопоточная оксигенотерапия — спасает, когда дыхание становится поверхностным и неэффективным

Компьютерная томография, показывающая тяжелую бронхоэктазию у кошки с хроническим бронхолегочным заболеванием. Обратите внимание на расширенные, заполненные слизью дыхательные пути в левом каудальном поле легкого.
Компьютерная томография, показывающая тяжелую бронхоэктазию у кошки с хроническим бронхолегочным заболеванием. Обратите внимание на расширенные, заполненные слизью дыхательные пути в левом каудальном поле легкого.

🫥4. Пневмоторакс

  • Скопление воздуха в плевральной полости (он там не должен быть) → лёгкие не расправляются → питомец не может вдохнуть
  • Возникает после травмы, операции или разрыва альвеол (спонтанный пневмоторакс)
  • Требует немедленной госпитализации

Как понять?

  • Анамнез. Чаще всего пневмотораксу предшествует какая-либо травма грудной клетки: это высотная травма (кошки), автотравма (собаки) или драки между собаками.
  • Аускультация: нет дыхательных шумов с одной стороны или двух сторон
  • Рентген/УЗИ подтверждает диагноз

Как лечить?

  • Торакоцентез (прокол грудной полости). Делается незамедлительно при подозрении на пневмоторакс. Может выполняться даже без проведения рентгена и УЗИ, если на то будет указывать дыхание и анамнез со слов владельцев. Требуется для снятия положительного давления в грудной полости (должно быть отрицательное).
  • Постановка торакальных дренажей требуется в тех случаях, когда воздух продолжает копиться после первых 3-4 отведений и пневмоторакс вызывает существенное ухудшение состояния пациента.
  • Поддержка кислородом
  • Обезболивающие
  • При необходимости антибиоткии

Прогноз:

Чаще положительный, но всё зависит от характера повреждения грудной клетки и близлежащих органов.

-4

💔5. Сердечная недостаточность

  • Особенно распространена у возрастных собак и кошек.
  • У животного снижена переносимость нагрузок, дышит часто, но без явных изменений в лёгких.

Как понять?

  • Эхокардиография- золотой метод диагностики
  • Уровень NT-proBNP в крови, сердечный тропонин — позволяет выявить степень повреждения сердечной мышцы.
  • Рентген: кардиомегалия, отёк лёгких (?), разрыв камер сердца (редко бывает при турбулентном потоке в камерах сердца и чаще всего у такс)

Что делать?

  • Диуретики (фуросемид, верошпирон)- призваны снять излишнюю нагрузку с сердца
  • Поддержка сократительной способности сердца (пимобендан)
  • Килород
  • Мониторинг давления и электролитов
  • В условиях отделения интенсивной терапии требуется агрессивная поддержка сократительной способности сердца

Прогноз:

Краткосрочный прогноз положительный, долгосрочный неблагоприятный, по причине того, что на текущий момент времени мы можем поддерживать таких пациентов медикаментозно, но вылечить можем крайне редко.

Собака с тяжелой формой сердечной недостаточности, связанной с миксоматозной дегенерацией митрального клапана и увеличением левого предсердия.
Собака с тяжелой формой сердечной недостаточности, связанной с миксоматозной дегенерацией митрального клапана и увеличением левого предсердия.

🚨 Для владельцев: что делать до прибытия в клинику?

  • Не пытайтесь кормить или поить- есть высокий риск развития аспирационной пневмонии (это когда пища попадает в дыхательные пути)
  • Не трясите и не кричите — так вы ему не поможете, а лишь усугубите стресс
  • Не ждите, что все пройдет самостоятельно — это редко случается, а чаще состояние животного ухудшается настолько, что спасти неудается
  • Привезите питомца как можно быстрее в клинику, где есть возможность провести комплексную диагностику.

🩺 Для врачей: алгоритм действий при дыхательной недостаточности

  1. Оценка дыхания и сознания
  2. Стабилизация- сразу обеспечиваем подачу кислорода
  3. Физикальный осмотр + УЗИ грудной клетки/ РГ грудной- после стабилизации
  4. Газы крови и лактат
  5. Решение: антибиотик, диуретик, торакоцентез, бронходилататор
  6. Тщательный мониторинг: SpO₂, дыхательная активность, гемодинамика

-6

⚠️ Если вы сомневаетесь в происхождении дыхательной недостаточности — используйте протокол VET BLUE или TFAST. Они помогут быстро определить, что именно мешает дышать.

📚 Научные ссылки, которые могут помочь:

  • Ward et al., JAVMA 2017 — точность УЗИ лёгких при диагностике отёка лёгких.
  • Pouzot-Nevoret C. et al., J Small Anim Pract 2019 — эффективность высокопоточной оксигенотерапии у собак с одышкой (HOT-DOG Study).
  • Verschoor-Kirss et al., JSAP 2019 — сравнение методов оксигенотерапии у собак с дыхательной недостаточностью.
  • Ferasin L и Linney C, J Feline Med Surg 2009 — дифференциальная диагностика кашля у кошек.
  • Reinke EL et al., J Vet Emerg Crit Care 2015 — связь уровня лактата и прогноза у кошек с шоком.

📌 Подписывайтесь — здесь пишем про реальные случаи, настоящие решения и практические советы.
💡
Ставьте ❤️ , если знаете, что каждая минута важна.