Добавить в корзинуПозвонить
Найти в Дзене

Завтра в Балаково на Ивановском шоссе будет ограничено движение и пустят автобусы до кладбища

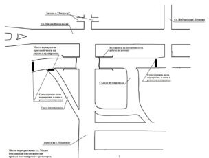
В Балаково в 27 апреля и 29 апреля по улице Ивановское шоссе в районе пересечения с улицей Промышленной будет ограничено движение транспортных средств, кроме транспорта общего пользования, легковых такси, спецмашин и транспорта граждан, проживающих в селах Ивановка и Красный Яр. Движение транспортных средств будет перекрыто с 6:00 до 18:00 часов. Движение пассажирского общественного транспорта на новое кладбище в это время будет организовано через 1-й микрорайон. В настоящее время ведется ремонт путепровода. В связи с этим будут заторы. 27 апреля на кладбище будет организовано движение бесплатного общественного транспорта с 7:00 до 16:00 часов. Интервал движения составит 5-15 минут. Движение пассажирского транспорта будет осуществляться по маршруту: остановка «1 микрорайон» — Новое кладбище — остановка «1 микрорайон». Об этом сообщает администрация Балаковского района.

В Балаково в 27 апреля и 29 апреля по улице Ивановское шоссе в районе пересечения с улицей Промышленной будет ограничено движение транспортных средств, кроме транспорта общего пользования, легковых такси, спецмашин и транспорта граждан, проживающих в селах Ивановка и Красный Яр.

Движение транспортных средств будет перекрыто с 6:00 до 18:00 часов. Движение пассажирского общественного транспорта на новое кладбище в это время будет организовано через 1-й микрорайон. В настоящее время ведется ремонт путепровода. В связи с этим будут заторы.

27 апреля на кладбище будет организовано движение бесплатного общественного транспорта с 7:00 до 16:00 часов. Интервал движения составит 5-15 минут.

Движение пассажирского транспорта будет осуществляться по маршруту: остановка «1 микрорайон» — Новое кладбище — остановка «1 микрорайон». Об этом сообщает администрация Балаковского района.