Найти в Дзене
ТОЛК

Многодетный уголок: в Барнауле могут построить особый мини-поселок

Территория, где может образоваться поселок на 29 домов и пять кварталов, расположена в глубине сельского треугольника – между пригородными поселками Черницк, Ягодное и Мохнатушка Ближайший пригород Барнаула продолжает развиваться. Причем в сторону Черницкого кладбища. Участок для очередной порции малоэтажных домов нашли в поселке Ягодном, у границы с Черницком. На территории в несколько гектаров планируют построить 29 домов, рассчитанных на семьи из пяти человек. Не исключено, что в будущем здесь появится уголок сельской жизни с городским комфортом для многодетных семей. Подробности читайте в материале "Толка". Площадь участка, о котором идет речь, составляет 7,2 гектара. В его границах планируют построить 29 частных домов не более трех этажей. Территорию разделят на пять кварталов. В границах каждого из них планируется возвести коттеджи высотой не более трех метров и с благоустроенной территорией. Фасады зданий сориентируют на красные линии улиц с соблюдением всех нормативных отступов
Оглавление
   Недвижимость. Коттедж. Поселок. Источник: Виталий Барабаш
Недвижимость. Коттедж. Поселок. Источник: Виталий Барабаш

Территория, где может образоваться поселок на 29 домов и пять кварталов, расположена в глубине сельского треугольника – между пригородными поселками Черницк, Ягодное и Мохнатушка

Ближайший пригород Барнаула продолжает развиваться. Причем в сторону Черницкого кладбища. Участок для очередной порции малоэтажных домов нашли в поселке Ягодном, у границы с Черницком. На территории в несколько гектаров планируют построить 29 домов, рассчитанных на семьи из пяти человек. Не исключено, что в будущем здесь появится уголок сельской жизни с городским комфортом для многодетных семей. Подробности читайте в материале "Толка".

Дома, дороги, тротуары

Площадь участка, о котором идет речь, составляет 7,2 гектара. В его границах планируют построить 29 частных домов не более трех этажей.

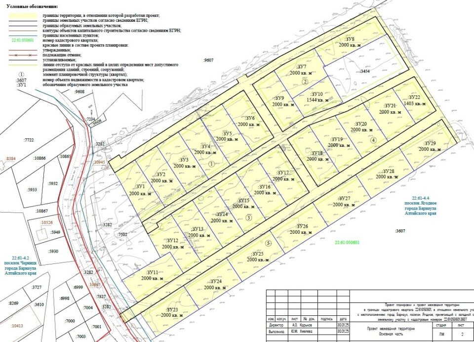
   Схема межевания участков для малоэтажного строительства. Источник: "Агростройинвест"
Схема межевания участков для малоэтажного строительства. Источник: "Агростройинвест"

Территорию разделят на пять кварталов. В границах каждого из них планируется возвести коттеджи высотой не более трех метров и с благоустроенной территорией. Фасады зданий сориентируют на красные линии улиц с соблюдением всех нормативных отступов.

Эти и многие другие нюансы описаны в проекте межевания и планировки территории. Многостраничный документ подготовили в компании "Агростройинвест". Работы, которые включали еще и инженерные изыскания, специалисты провели по заказу 29 заявителей. Для каждого из них "нарезали" участки под будущее строительство. Площадь бОльшей части из них составляет 2 тыс. кв. метров, размер двух наделов – 1,4 тыс. кв. метров и 1,5 тыс. кв. метров.

Кстати, помимо частных домов в границах участка запроектировали дороги, проезды и въезд со стороны Черницкого шоссе. В границах участка заложены и территории общего пользования – это участки, "занятые улицами и проездами", сказано в документе. Причем систему улиц и проездов представят дороги местного значения, которые обеспечат доступ к каждому домовладению.

Ширина въезда и выезда из поселка на магистральную улицу (Черницкий тракт) составит 12 метров, габариты других дорог – 10 метров. Вдоль каждой из них заложены тротуары от одного до полутора метров и озеленение. Предполагается и устройство разворотных площадок для спецтехники.

В границах проектируемой территории авторы заложили линии электропередачи, межпоселковый газопровод высокого давления и геодезический пункт. Каждый из объектов окружен охранными зонами, которые учли в проекте планировки и межевания участков. Причем на инженерную инфраструктуру заложено более 1,5 тыс. кв. метров общей территории будущего мини-поселка.

Гектары для многодетных

Предполагается, что в будущем поселке поселятся минимум 145 жителей. То есть расчеты велись исходя из того, что каждая семья включает не менее пяти человек.

В описательной части проекта также сказано, что при подготовке документа разработчики руководствовались частью 3 статьи 3 Закона Алтайского края от 9 ноября 2015 года N 98-ЗС ("О бесплатном предоставлении в собственность земельных участков"). Вот что говорится в тексте:

"Право на бесплатное предоставление однократно в собственность земельных участков для индивидуального жилищного строительства или ведения личного подсобного хозяйства имеют граждане, имеющие трех и более детей".

Очевидно, что найденную территорию планируют использовать для строительства домов и коттеджей для многодетных семей. И каждый из заявителей является представителем этой льготной категории граждан.

В настоящее время проект проходит стадию общественных обсуждений. Добро на подготовку проекта, который должен пройти эту обязательную процедуру, дала администрация Барнаула. Соответствующее постановление было подписано чуть больше года назад – 1 апреля 2024-го.

Дыхание природы и городские бонусы

   Недвижимость. Коттедж. Поселок. Источник: Виталий Барабаш
Недвижимость. Коттедж. Поселок. Источник: Виталий Барабаш

Что еще известно об участке? Он неправильной прямоугольной формы. Судя по планам, схемам и данным Публичной кадастровой карты, из этого земельного прямоугольника уже вырезаны два куска площадью 4,2 тыс. кв. метров и 5 тыс. кв. метров. Тот, что поменьше (ул. Светлая, 1), находится в частной собственности и также предполагает возведение частного дома. Участок побольше предназначен для сельхознужд.

Пока земля для многодетных семей находится в государственной или муниципальной собственности, сказано в текстовой части проекта. Возможно, впоследствии, если процедура общественных обсуждений пройдет без сюрпризов, ее передадут в собственность заявителей-льготников для будущего строительства.

Место люди нашли довольно перспективное. Участок расположен у западной окраины поселка Ягодного – между Черницком и поселком Мохнатушки и примыкает к Черницкому шоссе в районе пересечения с улицами Черницкая Заимка и Крестьянская. Слева от территории находится частный сектор, справа раскинулись огромные угодья по улице Сиреневой, 3. В настоящее время они находятся в частной собственности и пустуют. На севере простирается зеленый массив, за которым и разместилось Черницкое кладбище.

Получается, что с одной стороны участок – это уголок почти нетронутой природы, с другой – это территория ближайшего пригорода Барнаула со всеми ее преимуществами. В районе будущей застройки уже сложилась минимально необходимая инфраструктура: школы № 91 (в поселке Центральном) и № 95 (в Черницке), магазины, а также магистраль, связывающая поселковую часть с центром города и не только.

Напомним, ранее "Толк" писал о другом коттеджном поселке, который появится в этой части города. Его также планируют построить рядом с Черницком, но через дорогу – в поселке Центральном, напротив микрорайона Марьина Роща. Площадь территории составляет более 53 га. По предварительным подсчетам, поселок сможет вместить около 400 или даже 500 домовладений.

Читайте больше материалов на tolknews.ru

Прочитать оригинал на сайте

--------------------------------------------------

Хотите быть в курсе самых актуальных событий? Добро пожаловать! ТОЛК – ваш надежный проводник в мире новостей! 📰✨

🚀 Наш сайт - настоящая кладезь интересной и полезной информации: tolknews.ru 🚀

📽️ В поиске качественного видеоконтента? Не упустите шанс заглянуть на наш канал на Dzen, где вас ждут увлекательные видеосюжеты: Dzen.ru/tolknews 📽️

📚 А если вы больше любите читать, тогда наши статьи на Dzen.ru точно вас заинтересуют: Dzen.ru/tolknews 📚

🌐 Подписывайтесь на наши социальные сети, чтобы быть в курсе всех событий:

Не упустите возможность быть в курсе самых важных и интересных новостей! Присоединяйтесь к ТОЛК уже сегодня! 💫✨