Найти в Дзене

Завтра в Балаково ограничат движение транспорта на кладбище и пустят автобусы

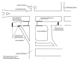
Завтра в Балаково на Ивановском шоссе в районе пересечения с улицей Промышленной будет ограничено движение транспортных средств, кроме транспорта общего пользования, легковых такси, спецмашин и транспорта граждан, проживающих в селах Ивановка и Красный Яр. Движение транспортных средств будет перекрыто с 6:00 до 18:00 часов. Движение пассажирского общественного транспорта на новое кладбище в это время будет организовано через 1-й микрорайон. «Уважаемые жители! Обращаем ваше внимание, что в настоящее время ведется ремонт путепровода. В связи с этим будут заторы. Приносим извинения за причиненные неудобства». – сообщает администрация Балаковского района.

Завтра в Балаково на Ивановском шоссе в районе пересечения с улицей Промышленной будет ограничено движение транспортных средств, кроме транспорта общего пользования, легковых такси, спецмашин и транспорта граждан, проживающих в селах Ивановка и Красный Яр.

Движение транспортных средств будет перекрыто с 6:00 до 18:00 часов. Движение пассажирского общественного транспорта на новое кладбище в это время будет организовано через 1-й микрорайон.

«Уважаемые жители! Обращаем ваше внимание, что в настоящее время ведется ремонт путепровода. В связи с этим будут заторы. Приносим извинения за причиненные неудобства». – сообщает администрация Балаковского района.

-2