Добавить в корзинуПозвонить
Найти в Дзене
Вымершие животные вики

Оправдание научного "Иуды"

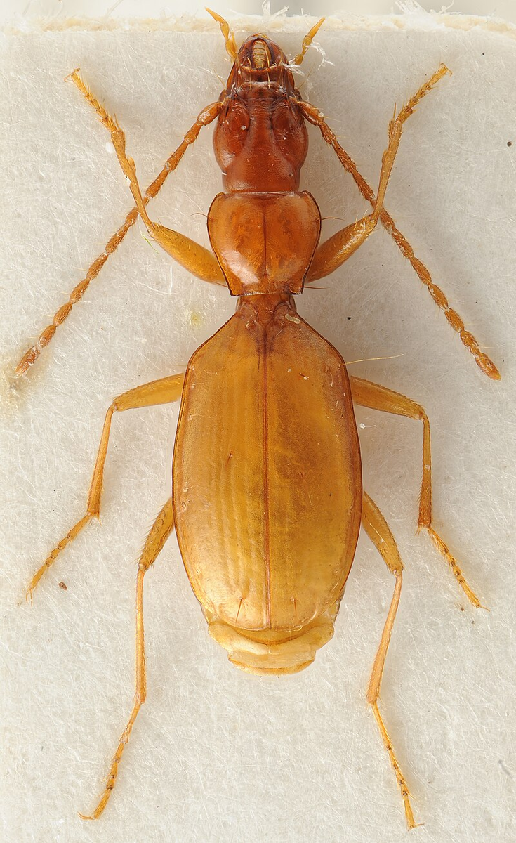
Наша статья про случай в Иране привела к настоящей битве в комментариях, среди которых, что логично, прозвучали обвинения в политизированности нашего канала. Но это ещё можно было понять - тема достаточно провокационная, время нестабильное, а наша позиция по данной теме была откровенно отрицательной. Но что нас удивило, так это... политизированность индрикотерия. Ну что ж.... Если у вас ПГМ (политота головного мозга), то медицина тут бессильна. Даже Бог вам вряд ли поможет (если это не экстерминатус от Бога-Императора). Оправдываться перед такими людьми бессмысленно. Но насколько их претензии обоснованы? Неужели все переименования носят русофобский характер, а англичанка снова гадит? Ну, давайте-ка вспомним это создание: Это - находящийся на грани исчезновения пещерный жучок. Единственное в мире создание, названное в честь Адольфа Гитлера. Угадайте, из-за кого он оказался на грани исчезновения и сколько раз с момента его описания в далёком 37-ом его предлагали переименовать? Не помогл

Наша статья про случай в Иране привела к настоящей битве в комментариях, среди которых, что логично, прозвучали обвинения в политизированности нашего канала. Но это ещё можно было понять - тема достаточно провокационная, время нестабильное, а наша позиция по данной теме была откровенно отрицательной. Но что нас удивило, так это... политизированность индрикотерия.

Ну что ж.... Если у вас ПГМ (политота головного мозга), то медицина тут бессильна. Даже Бог вам вряд ли поможет (если это не экстерминатус от Бога-Императора). Оправдываться перед такими людьми бессмысленно. Но насколько их претензии обоснованы? Неужели все переименования носят русофобский характер, а англичанка снова гадит?

Ну, давайте-ка вспомним это создание:

-2

Это - находящийся на грани исчезновения пещерный жучок. Единственное в мире создание, названное в честь Адольфа Гитлера. Угадайте, из-за кого он оказался на грани исчезновения и сколько раз с момента его описания в далёком 37-ом его предлагали переименовать?

Не помогло. Жук Гитлера не изменил своего имени. Точно так же сохранили имя человеку родезийскому. В 2021 году вышла публикация группы Мирьяны Роксандик, которая предлагала переменовать Homo rhodesiensis в Homo bodoensis, ведь вид отсылает к Сесилу Родсу, который был английским колониалистом и угнетал африканцев. Однако авторы не обосновали переименование и ряд других странных таксономических решений ничем, кроме того, что Родс был плохим человеком, так что их послали в пешее эротическое.

Реплика черепа из Бодо
Реплика черепа из Бодо

Итак, что следует из этих историй? Нет, не то, что западное научное сообщество состоит поголовно из белых нацистов-расистов-угнетателей. А то, что есть правила наименования новых таксонов. В честности, существу Международный кодекс зоологической номенклатуры. В нём и указано, когда, как и при каких условиях можно изменить название таксона.

Так вот. В случае с Индрикотерием сыграл свою роль Принцип приоритета: приоритетным считается старейшее название таксона. Форстер-Купер описал парацератерия в 1911 году, Борисяк описал индрикотерия в 1916 году, так что принцип оказался на стороне англичанина.

Что до остальных случаев возможного изменения названия, то тут может быть следующая ситуация:

  • название уже занято другим организмом, из-за чего его надо изменить
  • название занято синонимом другого организма
  • происходит выделение таксона (новый вид/род) из ранее известного
  • признание таксона невалидным с последующей синонимизацией
-4

Что до политизированности названия... Тут никто не запрещает вам выбрать имя своему таксону. Хоть в честь Пол Пота, хоть в честь Чикатило - всё зависит от ваших предпочтений. Это вчера люди носили на руках Гитлера, а сегодня выступают против колониализма и за права угнетённых, а завтра сформируют новую версию растафарианства на основе отрядов Путина. Политики сменяются, отношение к ним меняется, и изменение отношения к одной конкретной личности не должно мешать науке. Ведь вся эта череда переименований в угоду современной повестке приведёт лишь к неразберихе в систематике и не даст ровным счётом ни-че-го для учёных.

Для тех, кто хочет разобраться в номенклатуре, мы предлагаем почитать сам Кодекс.

Читайте также