Добавить в корзинуПозвонить
Найти в Дзене
Дачные советы .

Как бороться с колорадским жуком?

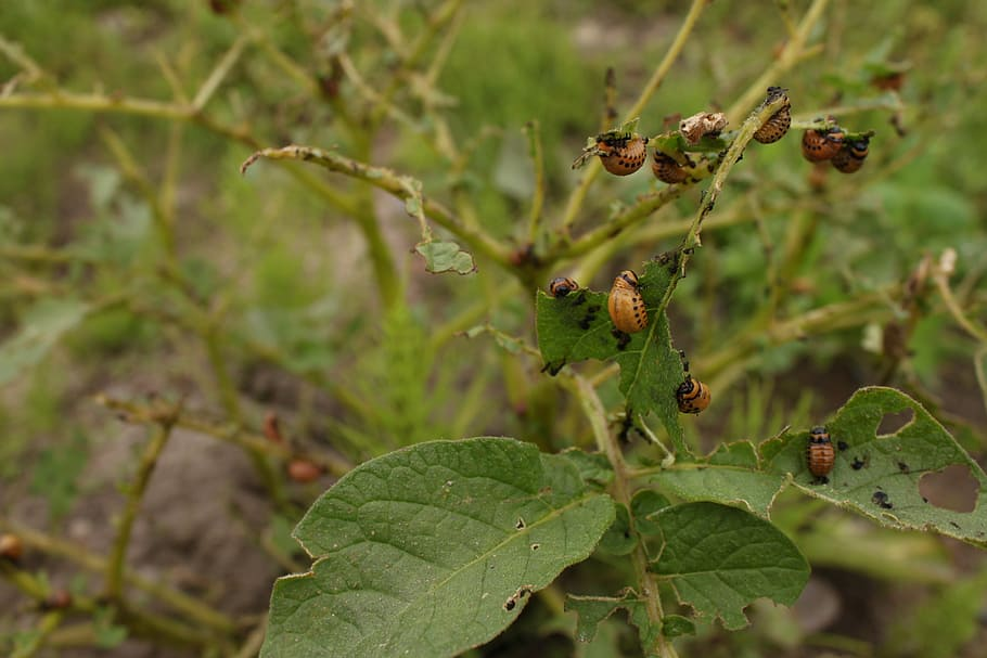
Колорадский жук – это настоящий бич для картофеля. Он способен уничтожить весь урожай, если не принять меры по борьбе с ним. Существует несколько способов избавиться от колорадского жука: Выбор метода зависит от ваших предпочтений и условий выращивания картофеля. Важно помнить, что борьба с колорадским жуком требует постоянного контроля и своевременного принятия мер.Кроме того, не забывайте о профилактике. Лучший способ борьбы с колорадским жуком – это предотвратить его появление. Для этого можно использовать специальные ловушки или высаживать растения, которые отпугивают жуков. Например, бархатцы или календула.Также стоит отметить, что некоторые сорта картофеля более устойчивы к колорадскому жуку. Если вы выбираете правильный сорт, то вероятность появления вредителя значительно снижается. #колорадскийжук

Колорадский жук – это настоящий бич для картофеля. Он способен уничтожить весь урожай, если не принять меры по борьбе с ним. Существует несколько способов избавиться от колорадского жука:

  1. Ручной сбор: Это трудоемкий процесс, но он эффективен и безопасен для окружающей среды.
  2. Использование биологических препаратов: Специальные препараты, содержащие бактерии или грибы, убивающие колорадского жука. Они безопасны для человека и животных, но могут быть дорогими.
  3. Химические средства: Быстрый и эффективный способ борьбы с колорадским жуком. Однако использование химических средств может быть опасно для окружающей среды и здоровья человека.
  4. Агротехнические методы: Посадка картофеля в ранние сроки или использование устойчивых сортов.
-2

Выбор метода зависит от ваших предпочтений и условий выращивания картофеля. Важно помнить, что борьба с колорадским жуком требует постоянного контроля и своевременного принятия мер.Кроме того, не забывайте о профилактике. Лучший способ борьбы с колорадским жуком – это предотвратить его появление. Для этого можно использовать специальные ловушки или высаживать растения, которые отпугивают жуков. Например, бархатцы или календула.Также стоит отметить, что некоторые сорта картофеля более устойчивы к колорадскому жуку. Если вы выбираете правильный сорт, то вероятность появления вредителя значительно снижается.

В любом случае, борьба с колорадским жуком должна быть комплексной и систематической. Только так можно сохранить свой урожай и защитить его от этого опасного вредителя.

#колорадскийжук