Найти в Дзене
Шелти Грогу

Это же шелти!

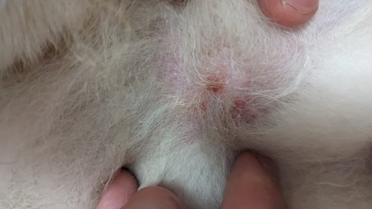
Все чаще слышим эту фразу, ух ты думаю я, не колли, а шелти, узнают породу 😄🥳 Пока наша тренер по ноузворку в отпуске, в четверг попробуем позаниматься у другой, один раз у нас было занятие уже. Правда давно. Просто не хочется пропускать. В субботу планируем доехать на пастьбу. Давно оооо нас не было там. Записалась в лагерь Горыныч в июле на три дня, правда домики остались без удобств 🫣к нашему тренеру Ольге Матвеевой. Так же в это время можно совместить с аджилити, но я не стала, очень много всего и так, лично мне. Хотя аджилити мне ооочень нравится , просто нет сил и времени на все 😭 ну конечно ещё деньги , как не крути. В пятницу гуляли в Сокольниках , после этого Грогу стал лизать и покусывать область паха, заметила покраснение, дала ему Зиртек и помазала мазью дерма сид. Стало лучше, вчера опять что то ещё и отек стал больше. Короче сегодня Женя поведет в больницу , я на работе три дня до 21,00 поэтому никак не смогу. Грогу сегодня не давал спать почти всю ночь, то ли его б

Все чаще слышим эту фразу, ух ты думаю я, не колли, а шелти, узнают породу 😄🥳

Пока наша тренер по ноузворку в отпуске, в четверг попробуем позаниматься у другой, один раз у нас было занятие уже. Правда давно. Просто не хочется пропускать.

В субботу планируем доехать на пастьбу. Давно оооо нас не было там. Записалась в лагерь Горыныч в июле на три дня, правда домики остались без удобств 🫣к нашему тренеру Ольге Матвеевой. Так же в это время можно совместить с аджилити, но я не стала, очень много всего и так, лично мне. Хотя аджилити мне ооочень нравится , просто нет сил и времени на все 😭 ну конечно ещё деньги , как не крути.

В пятницу гуляли в Сокольниках , после этого Грогу стал лизать и покусывать область паха, заметила покраснение, дала ему Зиртек и помазала мазью дерма сид. Стало лучше, вчера опять что то ещё и отек стал больше. Короче сегодня Женя поведет в больницу , я на работе три дня до 21,00 поэтому никак не смогу. Грогу сегодня не давал спать почти всю ночь, то ли его беспокоило это, то ли что, не знаю , ходил по мне пол ночи. Очень распереживалась . Утром помазала мазью, вроде лучше чем вечера. Посмотрим что скажет врач. Надеюсь ничего серьезного .

В остальном все хорошо . Много работы, мало времени свободного. Стараюсь проводить с Грогу. Скучаю сама. Вчера пришла с работы и мы пошли гулять в парк, хорошо так гуляли, и вдруг сиба ину на горизонте, Грогу их очень любит, но я смотрю что то агрессивно настроен, взяла Грогу на короткий поводок, в итоге хозяйка сибы, решила что надо собакам понюхаться, сначала было норм, потом секунда, и одни вцепились ох. Ну так мы успели растянуть, но Грогу схватил меня за штанину и порвал ее...😭😭😭новый костюм, сколько раз себе говорила, что нужно переодеваться для прогулки с моей собакой 😭😭😭 но я пришла поздно и хотела поскорее пойти гулять с ним. Эх ну с Грогу не получится гулять красивой, только как бомж.

Теперь штаны зашивать 😭🙈

Грогу ❤️
Грогу ❤️

Разбираемся что за напасть ((((
Разбираемся что за напасть ((((
Стиляга 🙂‍↕️
Стиляга 🙂‍↕️
Красивый мальчик 🥰
Красивый мальчик 🥰