Добавить в корзинуПозвонить
Найти в Дзене
Школа ЦПМ

Новости науки: гигансткие подводные горы

Продолжаем делиться экспертными комментариями преподавателей Школы ЦПМ о новостях из мира науки. На этот раз мы поговорили об открытии гигантских подводных гор и значении этого открытия для науки с педагогом кафедры географии Школы ЦПМ — Николаем Муртазовичем Хасаей.
Коротко сама новость: «Океанографы обнаружили в открытом море между Перу и Чили 4 гигантские подводные горы, самая большая из которых имеет высоту почти 2,6 километра. Горы были обнаружены случайно во время экспедиции, когда команда заметила странные гравитационные аномалии на карте маршрута. Они могут оказаться настоящим оазисом биоразнообразия».
О том, что данное событие значит для науки, особенностях метода обнаружения гор, о дальнейших перспективах их исследования, географических экспедициях и многом другом мы и поговорили с Николаем Муртазовичем.
Обзор новости читайте ниже! Что это открытие значит для географии и смежных с ней наук? Это большое достижение, так как столь успешная апробация использованного метода обн
Оглавление

Продолжаем делиться экспертными комментариями преподавателей Школы ЦПМ о новостях из мира науки. На этот раз мы поговорили об открытии гигантских подводных гор и значении этого открытия для науки с педагогом кафедры географии Школы ЦПМ — Николаем Муртазовичем Хасаей.

Коротко сама новость: «Океанографы обнаружили в открытом море между Перу и Чили 4 гигантские подводные горы, самая большая из которых имеет высоту почти 2,6 километра. Горы были обнаружены случайно во время экспедиции, когда команда заметила странные гравитационные аномалии на карте маршрута. Они могут оказаться настоящим оазисом биоразнообразия».

О том, что данное событие значит для науки, особенностях метода обнаружения гор, о дальнейших перспективах их исследования, географических экспедициях и многом другом мы и поговорили с Николаем Муртазовичем.

Обзор новости читайте ниже!

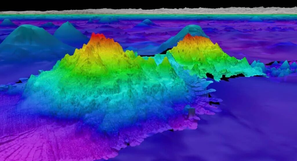
Самая большая из четырёх недавно открытых подводных гор, ее высота составляет 2 681 метр.
Самая большая из четырёх недавно открытых подводных гор, ее высота составляет 2 681 метр.

Что это открытие значит для географии и смежных с ней наук?

Это большое достижение, так как столь успешная апробация использованного метода обнаружения гор позволит значительно быстрее завершить картографирование рельефа дна Мирового океана. Несомненно, открытие этих и других подводных гор даст много ценного материала для исследования географам, геологам и биологам. В свою очередь, эти знания позволят государствам более грамотно управлять морскими ресурсами и обеспечить безопасную навигацию судов.

Каким образом удалось обнаружить эти горы? В чём особенность такого метода?

Изменения рельефа дна проявляются на водной глади океана из-за возникающих гравитационных аномалий. Так, глубокой впадине на дне будет соответствовать «впадинка» на поверхности океана, а высокая подводная гора, наоборот, создаст «бугорок». Такие незаметные глазу искривления водной глади были считаны учёными с помощью спутниковых альтиметров (приборов для измерения высоты) и проверены на месте эхолотами (приборами звукового обнаружения с помощью акустического излучения).

Подводные горы и каньоны, как известно, являются биологическими «горячими точками», что это значит?

Подводные горы и впадины позволяют ракообразным и моллюскам в месте их расположения найти пищу и укрытие, дают возможность зацепиться за каменистую поверхность коралловым рифам, губкам и актиниям. Кроме того, подводные горы омываются глубоководными течениями, из-за чего возникает апвеллинг (подъём глубинных вод к поверхности), который поддерживает жизнь донных рыб. Все это создаёт настоящий очаг биоразнообразия.

Каковы перспективы такого открытия? Каковы могут быть дальнейшие шаги?

В это сложно поверить, но подробной карты дна Мирового океана все ещё не существует. Надеюсь, что такое открытие сподвигнет учёных по всему миру активнее использовать метод гравитационных аномалий, чтобы довести дело до конца — впереди очень много работы! Часто говорят о том, что Мировой океан изучен хуже, чем обратная сторона Луны, и в каком-то смысле это не так далеко от правды :)

Какие бывают цели географических экспедиций?

Главная цель всех экспедиций – познание географической оболочки Земли и её структурных частей. А вот задачи экспедиций бывают самыми разными. Они могут быть чисто научными: например, общее изучение процессов (оползневых, почвообразования) и явлений (мерзлоты, заболоченности), их характерных черт и особенностей. А могут быть прикладными: например, изучение возможности осуществления определённых видов хозяйственной деятельности в различных регионах или разведка месторождений полезных ископаемых.

Следите ли Вы за новостями в географии и обсуждаете ли их с детьми на уроках в Школе ЦПМ, проводите ли собственные исследования, есть ли у детей интерес к новостям и открытиям?

В современном мире, где постоянно что-то меняется и отовсюду поступают новые данные, нельзя не следить за открытиями. Некоторые преподаватели нашей кафедры начинают свои занятия с еженедельного выпуска новостей, и это вызывает искренний интерес у учащихся! Кроме того, учитывая специфику географии как науки, мы несколько раз в год проводим свои полевые исследования на выездах с профильными классами.

Больше о кафедре географии Школы ЦПМ и профилях, которые она реализует, можно узнать на сайте.