Найти в Дзене

Как предотвратить вытягивание томатов.

Для предотвращения вытягивания нужно поддерживать правильный режим полива. Недостаток влаги может привести к вытягиванию растений, поэтому важно поддерживать постоянный уровень влажности в почве. Правильная температура, от 18 до 25 градусов Цельсия. Избегаем слишком холодных или жарких условий. Убедитесь, что растения получают достаточно света. Томаты нуждаются в большом количестве света для здорового роста и развития. Нужно соблюдать правильное расстояние между растениями. Слишком близкое размещение растений может привести к конкуренции за ресурсы и вытягиванию. Горшки с рассадой расставляем на некоторое расстояние, чтобы они не касались листьями друг друга. Проветриваем помещение или поддерживаем зону выращивания на открытом воздухе. Свежий воздух важен для здоровья растений. Проводим полив регулятором роста, который задержит вытягивание томатов (препарат Атлет). У рассады на момент обработки должно быть 3-4 настоящих листа. В более раннем развитии рассаду поливать нельзя. Полив

Для предотвращения вытягивания нужно поддерживать правильный режим полива. Недостаток влаги может привести к вытягиванию растений, поэтому важно поддерживать постоянный уровень влажности в почве.

Вытягивание томатов. Источник фото-сайт:https://goo.su/madsbEv
Вытягивание томатов. Источник фото-сайт:https://goo.su/madsbEv

Правильная температура, от 18 до 25 градусов Цельсия. Избегаем слишком холодных или жарких условий.

Убедитесь, что растения получают достаточно света. Томаты нуждаются в большом количестве света для здорового роста и развития.

Нужно соблюдать правильное расстояние между растениями. Слишком близкое размещение растений может привести к конкуренции за ресурсы и вытягиванию. Горшки с рассадой расставляем на некоторое расстояние, чтобы они не касались листьями друг друга.

Проветриваем помещение или поддерживаем зону выращивания на открытом воздухе. Свежий воздух важен для здоровья растений.

Проводим полив регулятором роста, который задержит вытягивание томатов (препарат Атлет). У рассады на момент обработки должно быть 3-4 настоящих листа. В более раннем развитии рассаду поливать нельзя.

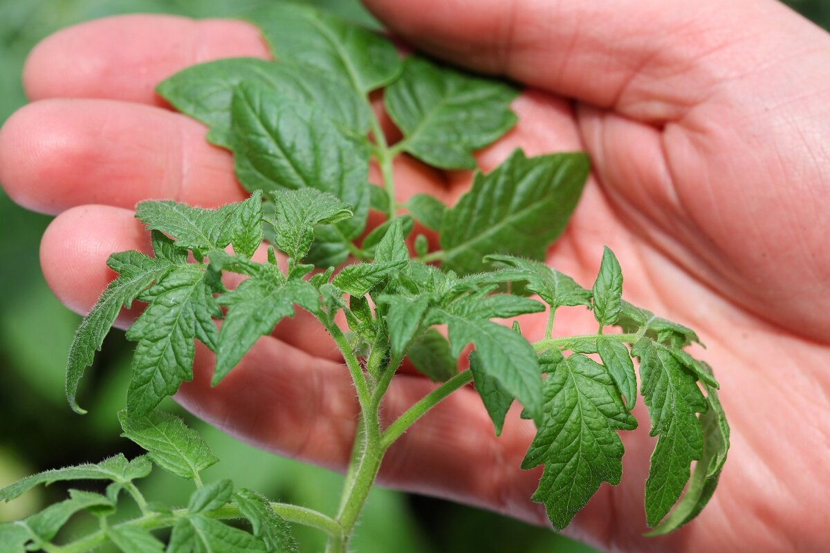
Настоящие листы у томата. Источник фото- сайт:https://goo.su/X6rNaLC
Настоящие листы у томата. Источник фото- сайт:https://goo.su/X6rNaLC

Полив проводим под корень, стараясь не попадать на листья, чтобы не обжечь их. Препарат разводим на 1 литр воды 1 ампула. После полива оставляем рассаду на проветривание.