Добавить в корзинуПозвонить
Найти в Дзене
Фонтанка.ру

На сайте петербургского правительства доступен проект постановления об утверждении проекта планировки территории для строительства Поклонногорской развязки. Читайте на "Фонтанке"

Долгожданная Поклонногорская развязка на севере Петербурга доехала до проекта планировки. Это будут тоннели На сайте петербургского правительства доступен проект постановления об утверждении проекта планировки территории для строительства Поклонногорской развязки. Ее много лет ждут жители северных районов города. Документация опубликована 2 октября. Речь идет о развязке на пересечении пр. Энгельса, Выборгского шоссе, Поклонногорской улицы, Северного проспекта и пр. Тореза. Согласно ей, общая протяженность всех новых участков улиц и съездов составит почти 3 км. В проекте несколько раз говорится о тоннельных участках, которые надо будет, в частности, обставлять шпунтовой защитой и обеспечивать противопожарной системой. Ранее уже звучала информация, что вторая очередь развязки будет представлять собой 2 тоннеля, 3 путепровода тоннельного типа и 3 съезда. Судьбу объекта обсуждали в начале прошлого года, тогда же называли ориентировочную стоимость строительства — почти 24 млрд. Однако опред

Долгожданная Поклонногорская развязка на севере Петербурга доехала до проекта планировки. Это будут тоннели

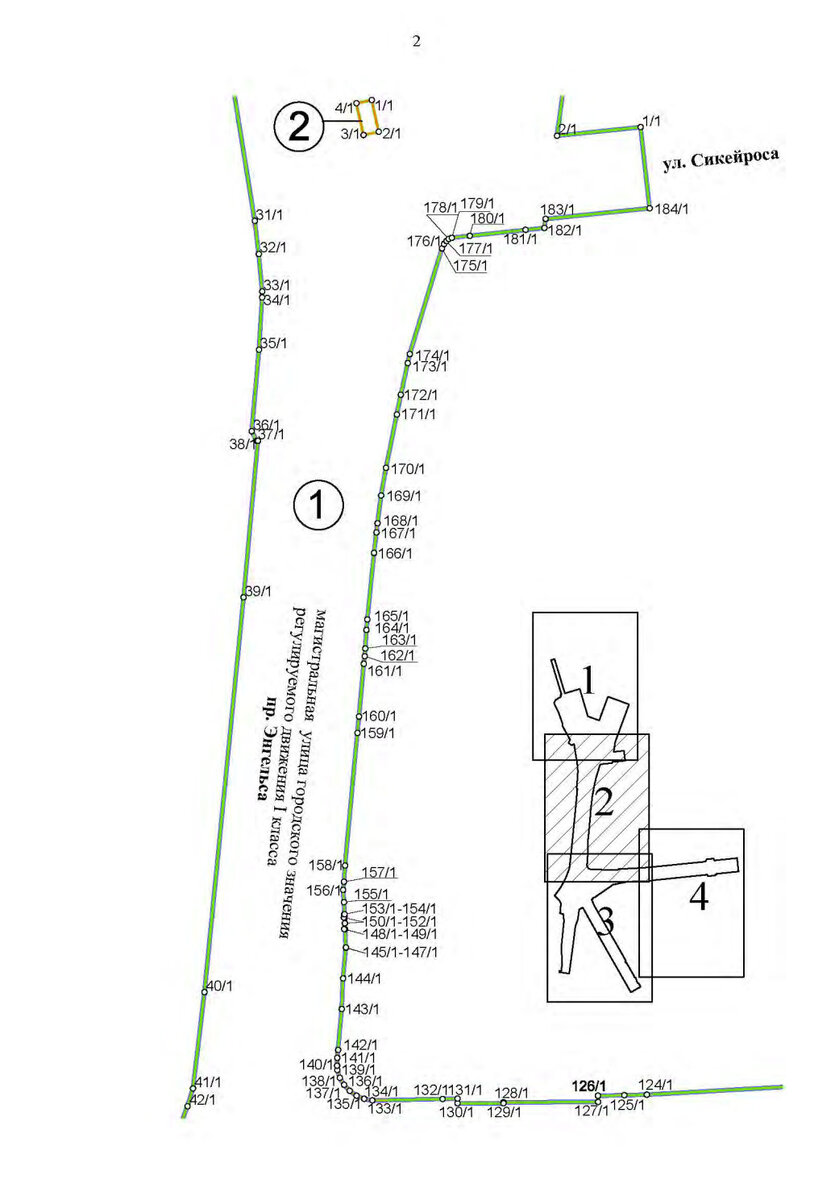
На сайте петербургского правительства доступен проект постановления об утверждении проекта планировки территории для строительства Поклонногорской развязки. Ее много лет ждут жители северных районов города.

Документация опубликована 2 октября. Речь идет о развязке на пересечении пр. Энгельса, Выборгского шоссе, Поклонногорской улицы, Северного проспекта и пр. Тореза. Согласно ей, общая протяженность всех новых участков улиц и съездов составит почти 3 км.

В проекте несколько раз говорится о тоннельных участках, которые надо будет, в частности, обставлять шпунтовой защитой и обеспечивать противопожарной системой. Ранее уже звучала информация, что вторая очередь развязки будет представлять собой 2 тоннеля, 3 путепровода тоннельного типа и 3 съезда.

Судьбу объекта обсуждали в начале прошлого года, тогда же называли ориентировочную стоимость строительства — почти 24 млрд. Однако определенности по срокам с тех пор не появилось, хотя сама развязка стабильно находилась в бюджетном разделе «Проектирование».

В 2017 году был открыт Поклонногорский путепровод, обеспечивающий дополнительную связь Выборгского и Приморского районов. Тогда же запустили проектирование второй очереди — тоннельной.