Найти в Дзене
Business Class

В Перми планируют реконструкцию участка ул. Грибоедова у будущей трассы ТР-53

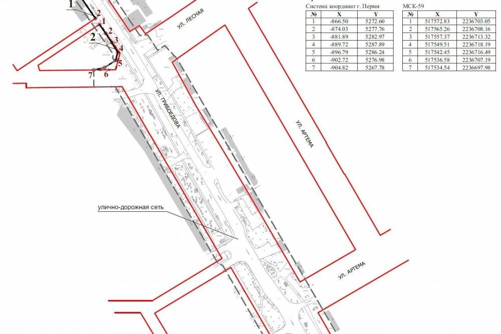
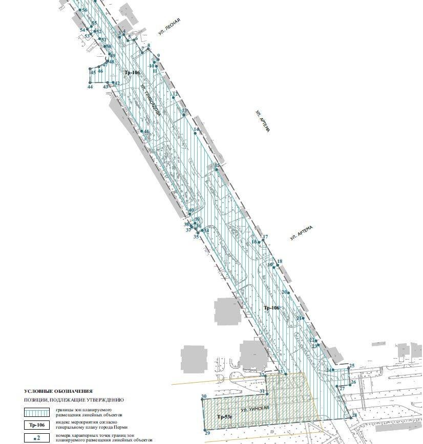
Министерство по управлению имуществом и градостроительной деятельности утвердило документацию по планировке территории по ул. Грибоедова от ул. Уинской до ул. Лесной. Этот участок планируется реконструировать, обеспечив четырехполосное движение. Предполагается также устройство велодорожки, тротуаров, газонов и высадка деревьев. Эти мероприятия предусмотрены Генеральным планом Перми (индекс ТР-106). Ширина профиля в границах красных линий, устанавливаемых проектом планировки, составляет 18-47 метров, протяженность участка – 497 метров. В районе улицы Уинской улица Грибоедова примыкает к будущей трассе «Переход ул. Старцева – пр. Октябрят – ул. Целинная» (ТР-53). Кроме того, утвержден проект межевания территории по ул. Грибоедова. Им предусмотрено образование семи земельных участков под улично-дорожную сеть и одного – под благоустройство территории. Схемы: проект планировки территории.

Министерство по управлению имуществом и градостроительной деятельности утвердило документацию по планировке территории по ул. Грибоедова от ул. Уинской до ул. Лесной. Этот участок планируется реконструировать, обеспечив четырехполосное движение. Предполагается также устройство велодорожки, тротуаров, газонов и высадка деревьев. Эти мероприятия предусмотрены Генеральным планом Перми (индекс ТР-106).

Ширина профиля в границах красных линий, устанавливаемых проектом планировки, составляет 18-47 метров, протяженность участка – 497 метров. В районе улицы Уинской улица Грибоедова примыкает к будущей трассе «Переход ул. Старцева – пр. Октябрят – ул. Целинная» (ТР-53).

-2

Кроме того, утвержден проект межевания территории по ул. Грибоедова. Им предусмотрено образование семи земельных участков под улично-дорожную сеть и одного – под благоустройство территории.

Схемы: проект планировки территории.