Добавить в корзинуПозвонить
Найти в Дзене

Жужелица шероховатая — самая крупная в России, два подвида

Также известная, как Кавказский и Крымский брызгуны-улиткоеды, что достаточно точно характеризует ареал и образ жизни этих жужелиц. Немного о систематике вида По латыни - Carabus scabrosus, включает в себя ряд подвидов и форм. У нас водятся: Жужелица Крымская (Carabus s. tauricus), Жужелица... э-э-э Тоже Крымская, но другая (Carabus s. crimeanus) – эту форму учёные выделили относительно недавно, в советской литературе не упоминается; Жужелица Кавказская (Carabus scabrosus caucasicus) имеет два подвида: северный номинативный и более крупный Колхидский ( Carabus (Procerus) scabrosus caucasicus colchicus) — название длинное, как имя испанского гранда! Так и жук не маленький — до 55 мм в длину. А есть ли жужелицы ещё больше? Про его родню Самой крупной жужелицей Европы является Carabus (Procerus) gigas —Жужелица Гигантская, заселяющая страны Южной Европы. Ближайшее место (по данным сети), где встречается — Молдавия. Относится к подроду Процерус, как и жужелица шероховатая. Внешне на таков

Также известная, как Кавказский и Крымский брызгуны-улиткоеды, что достаточно точно характеризует ареал и образ жизни этих жужелиц.

Немного о систематике вида

По латыни - Carabus scabrosus, включает в себя ряд подвидов и форм. У нас водятся: Жужелица Крымская (Carabus s. tauricus), Жужелица... э-э-э Тоже Крымская, но другая (Carabus s. crimeanus) – эту форму учёные выделили относительно недавно, в советской литературе не упоминается; Жужелица Кавказская (Carabus scabrosus caucasicus) имеет два подвида: северный номинативный и более крупный Колхидский ( Carabus (Procerus) scabrosus caucasicus colchicus) — название длинное, как имя испанского гранда! Так и жук не маленький — до 55 мм в длину.

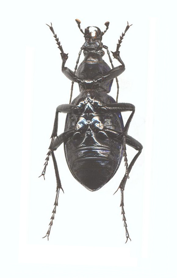
Вид справа. Сканография А.И. Бибилова
Вид справа. Сканография А.И. Бибилова

А есть ли жужелицы ещё больше?

Про его родню

Самой крупной жужелицей Европы является Carabus (Procerus) gigas —Жужелица Гигантская, заселяющая страны Южной Европы. Ближайшее место (по данным сети), где встречается — Молдавия.

Относится к подроду Процерус, как и жужелица шероховатая. Внешне на таковую очень похожа, отличается более выраженной пятиугольностью переднеспинки и, как правило, более широким и крупным телом. Может достигать 50-70 мм в длину, что очень много для насекомого вне зоны тропиков.

Обитает во влажных условиях, хищник, не летает, бегает по земле и питается беспозвоночными, в основном — моллюсками.

Жужелица шероховатая явно занимает второе место по размерам, обитает вокруг Чёрного моря, кроме Крымского и Кавказского образует подвиды и в зарубежных странах.

В европейских землях, где не видывали огромных бугристых металлического цвета Процерусов, самой крупной жужелицей слывёт жужелица шагреневая, она же мАтовая, она же жужелица-Прокруст (Carabus (Procrustes) coriaceus), может достигать 42 мм, но обычно меньше. Про их фантастическую хищность и прожорливость отзывался (довольно неодобрительно) великий натуралист Жан Анри Фабр. В отличии от многих авторов в сети он не видел ничего приятного в зрелище жужелицы, рвущей на части моллюска или другое насекомое (таких роликов пруд пруди), словно гладиатор на арене.

Водятся Прокрусты и на Северо-Западе России. Статья про Прокрустов уже есть у меня на канале.

Во избежание путаницы нужно упомянуть ещё Антий. Это тоже жужелицы, но выглядящие совсем не так, как представители общеизвестного рода Карабус. Они скорее напоминают огромного муравья: большая голова с саблевидными челюстями, очень узкая талия, овальные надкрылья, сросшиеся по шву над брюшком. Покатые плечи надкрыльев сразу показывают — жук не летает.

Антия Маннергейма (Anthia mannerheimii) обитала на юге СССР, ныне — в Узбекистане и южной Туркмении, а также южнее. Часто её тоже называют Гигантской жужелицей.

Жуки в коллекции
Жуки в коллекции
Жуки-жужелицы : Антия Маннергейма (мелкий экземпляр), два Дальневосточных красотела, Красотел пахучий (ярко-зелёный) и пара бомбардиров.

Другие виды Антий обитают в Африке и Южной Азии. Отличаются деталями окраски и скульптуры покровов, в остальном похожи.

Они адаптированы к жизни в экстремальных условиях пустыни с высокими перепадами суточной температуры. Питаются муравьями, а также всей другой добычей, какую поймают. Хорошо копают и отлично бегают по сыпучему песку. Активны ночью. Дневную жару пережидают в своих или чужих норках. При нападении на антий жуки сильно кусаются и брызгаются едкой жидкостью.

Возвращаемся к сегодняшней теме.

Жужелица Крымская

Обитает в Крыму, есть отдельные редкие находки за его пределами. Населяет часть степной зоны, весь ЮБК. Может встречаться в городах и с\х ландшафте, где сильно страдает от ядохимикатов, автомобильных колёс и прямого преследования человека. Занесена в Красную Книгу.

Отличается формой переднеспинки — она имеет форму почти правильного шестигранника. Кроме того, цвет Крымской жужелицы может быть не только синим, но и интенсивно зелёным или ярко-фиолетовым. Зернистость несколько более упорядочена, чем у жужелицы Кавказской. Размеры 35-45 мм в длину, рекорд — 52 мм. Жук имеет большую ширину и высоту, тяжёлый, длинные мощные ноги позволяют ему передвигаться быстрым шагом, на бег переходит только спасаясь от врага.

Процерусы в коллекции. Четыре справа - Крымские, остальные - Кавказские
Процерусы в коллекции. Четыре справа - Крымские, остальные - Кавказские

Все виды рода Карабус (и многие другие жужелицы) способны брызгать во врага едкой жидкостью, однако Процерусы очень большие (да, размер имеет значение!) поэтому как количество жидкости, так и расстояние до области поражения у них самые внушительные! Оценка этого расстояния сильно разнится, но ближе метра незащищённые глаза лучше к этой жужелице не приближать, особенно если она человека заметила и старается скрыться.

В случае точного попадания будет жгучая боль, словно от уксуса, а также возможен конъюнктивит, впрочем, обычно быстро проходящий без последствий.

Правда меня однажды точно поразила в глаз маленькая (раз в 6 меньше Крымской) зернистая жужелица с расстояния больше метра. Делаем выводы.

Жужелица зернистая - всего-то 18 мм
Жужелица зернистая - всего-то 18 мм

Если же жука не пугать и не хватать, то человек ему совершенно не интересен, а по большей части — жук его просто не замечает.

Жуки — долгожители. Живут во взрослом состоянии до трёх лет (больше вроде бы никто не называл сроки), что очень много для жука и в целом для насекомых не характерно. В тёплом Крыму могут быть встречены практически в любое бесснежное время при плюсовой температуре, однако наиболее активны весной во время брачного периода, когда они чаще всего и попадаются на глаза.

У самцов Карабусов как правило сильно расширенные членики передних лапок, что позволяет их легко опознать. Однако именно у шероховатой жужелицы такого признака нет. Самцы отличаются более широкими щупиками, заметно более длинными усиками и ногами и, при этом, явно меньшими габаритами.

Самцы быстрее и больше склонны бегать. В чём и их суть — чтобы избежать близкородственного скрещивания.

Во время брачного сезона самцы ищут и преследуют самок. Далее происходит брачный ритуал, как правило напоминающий потасовку. Если самке не удаётся отбиться от самца (прямо до каннибализма и растерзания дело вроде как у них не доходит), то она смиряется и самец какое-то время едет на ней во время копуляции. При этом самка может продолжать передвигаться и питаться.

Потом пара расходится. Самка откладывает крупные желтоватые яйца во влажные места, обычно — в кучи опавших листьев. Вскоре из них выходят маленькие чудовища, своими сочленёнными латами немного напоминающие личинок мертвоедов, от прочих жужелиц их отличает яркий металлически-синий цвет. А у личинок повзрослее — размеры.

Ведёт себя личинка так же, как и её родители — то есть ползает по земле и среди лиственного\хвойного опада и пожирает всё живое, что сможет догнать и одолеть. Особенно мелких виноградных улиток.

Потом отъевшаяся личинка окукливается, превращаясь в большую бесцветную и абсолютно беззащитную куколку, поэтому место для такого опасного периода она выбирает поукромнее.

А в середине лета выйдет молодой и очень голодный жук и примется за дело, в котором Крымский брызгун-улиткоед достиг значительных успехов!

Сам облик жужелицы обращает внимание минимумом волосков и щетинок, довольно характерных для насекомых.

И у жука весьма усиленные ноги и усики относительно прочих.

Это легко объяснимо, если посмотреть на сцену боя Кавказской или Крымской жужелицы с огромной и тяжёлой виноградной улиткой (Helix), той самой, которую подают во французских ресторанах. И которых можно легко набрать целое ведро во дворе дома в Туапсе, не говоря уже про огород или виноградник. А ведь эти улитки страшно прожорливы!

Схватка проходит так. (Внимание, ниже описание не для слабонервных!)

Ползёт себе улитка, и вот на неё выходит огромная Крымская жужелица. И незамедлительно вцепляется в моллюска длинными и острыми челюстями! Улитка с большой силой втягивает своё тело в раковину (стук от удара крепкого хитинового панциря жужелицы о ещё более крепкую известковую раковину слышен издали) и сбрасывает жука. Тот, нисколько не смутившись, залезает в отверстие раковины «по плечи» надкрылий и принимается терзать моллюска. А улитка на это реагирует, словно пробитый огнетушитель, извергая из себя огромное количество липкой пены! Какой-то неспециализированный хищник, даже вечно голодное млекопитающее — землеройка, могут отстать под напором этой клейкой слизи, обволакивающей всю переднюю половину хищницы и приклеивающую к ней весь песок и прочий мусор вокруг!

Однако улиткоед к этому адаптирован и продолжает жрать улитку ни в чём не бывало! При этом поливает её едкой коричневой жидкостью изо рта - элемент внешнего пищеварения. Раковину брызгун при этом не разгрызает — челюсти мощные, но не до такой степени. Впрочем, гибкости шеи и талии вполне хватает.

Если появится второй жук, то они могут пожирать (именно это слово) улитку и вместе, иногда пихаясь, но без боя насмерть за добычу — одной улитки на двоих вполне хватит.

Крупная и сильная улитка может попытаться убежать от этих чудовищ. Как ни странно, у неё это может и получиться — после того, как запас пены у улитки иссякает, она вылезает из раковины и, игнорируя терзающую её и заживо поедающую жужелицу, старается с максимально возможной для улитки скоростью забраться куда-нибудь повыше. Жужелица этому противодействует, может и бульдогом висеть на челюстях, пока раненая улитка поднимается, волоча на себе неподъёмную раковину с жизненно необходимыми органами и тяжёлого жука...

Иногда улитке удаётся подняться повыше по стеклу или вертикальной стене и стряхнуть с себя улиткоеда. Улитка скорее всего восстановится. Способность к регенерации у неё отличная.

Если же номер не проходит, то улитка спустя несколько десятков минут\часов сопротивления погибает. И жужелица будет есть её сутки и более напролёт. Через какое-то время мясо улитки на жаре испортится и примётся издавать отвратительный запах, что брызгуна совершенно не волнует — если его не спугнут, он доест всё, оставив только пустую раковину.

Закончив трапезу (проглотив больше своего собственного веса) жук наконец-то чистится от липкой зловонной массы, облепившей его морду и всё остальное тело. Вот тут и пригодится ему мощное телосложение и голые покровы — иначе жук просто умер, словно склеенный монтажной пеной.

После чистки жук готов найти вторую улитку и повторить процесс!

Активны жуки по весне могут быть круглые сутки, однако предпочитают ночь. Днём под ярким солнцем бегают реже, в тени деревьев или в пасмурную погоду солнце их не пугает.

Тучи сползают с плато Ай-Петри, фото 2013
Тучи сползают с плато Ай-Петри, фото 2013

В период летней жары и засухи, когда улитки по большей части переходят в «архивное» состояние и малодоступны жуки могут неподвижно пережидать неблагоприятное время, экономя энергию. После дождя выползут и начнут искать, кого бы сожрать.

Помимо уничтожения виноградных улиток (чем они приносят несомненную пользу человеку!) брызгуны могут поедать моллюсков помельче, включая слизней, червей, личинок насекомых, наземных гусениц. Для бегания по стенам домов и лазания по деревьям сильные лапы жука подходят плохо (этим делом в Крыму занимаются красотелы пахучие — великолепные жужелицы, поедающие именно древесных гусениц. Они как раз хорошо летают, что помогает им не спускаться без нужды на землю.)

По части поедания других жуков — никогда не встречал шероховатых жужелиц за таким занятием. Хотя силы им хватило бы — не вопрос. Разве что гигантский жук-олень или тяжело бронированный носорог были бы ей не по мандибулам.

Жук-носорог
Жук-носорог

Если обнаружит погибшее млекопитающее или птицу, от их мяса также не откажется (как и большинство жужелиц).

Именно Крымскую жужелицу я в природе не встречал, видел в инсектарии. И любительские ролики. Очень похожа на Кавказскую по образу жизни.

Кавказская жужелица

Близкий подвид. Населяет горы Кавказа, предпочитая лесную (особенно дубравы) и лесо-степную зоны. В высокогорье не стремится. Отдельные экземпляры могут встречаться на высотах до 2000 метров. Могут жить в парках и с\х ландшафте.

Жуки в коллекции, слева - самки, справа - самцы.
Жуки в коллекции, слева - самки, справа - самцы.

Сильно страдает от автомобилей, ядохимикатов, прямого преследования человека. Занесена в Красные Книги России и государств Закавказья.

От Крымской жужелицы отличается суженной спереди переднеспинкой (скорее пятиугольник, чем правильный шестигранник), более грубой и неупорядоченной скульптурой груди и надкрылий. А также цветом — эти жужелицы редко бывают зелёными или фиолетовыми, практически всегда синие. Самцы — ярче, самки — бывают с небольшой прозеленью «цвета морской волны».

Номинальный подвид (или уже подподвид!) Carabus (Procerus) scabrosus caucasicus caucasicus (словно заклинание из Хогвартса!) мельче, встречается на северных склонах Кавказа. Мной был встречен на горе Машук в Пятигорске. Самцы имели средний размер 32-40 мм, самки — 40-48 мм, самая крупная самка — 52 мм.

Второй более южный подвид — жужелица Кавказская Колхидская, отличается более грубой скульптурой и более крупными размерами — до 55 мм. Обитает по побережью Чёрного моря, особенно — в Колхидской низменности. Этих я не встречал.

Гора Машук, фото 2001 года
Гора Машук, фото 2001 года

Что же до популяции в Пятигорске — дело было в июне 2001 года. Жуки населяли всю лесную зону горы Машук. Часто попадались на глаза, неспешно идущими (они скорее ходят, чем бегают или ползают), по асфальту дороги, огибающей гору, а также на дороге, ведущей на вершину (к телевышке). О их количестве можно было сделать выводы, на основании того, что за день обычно встречались от одной до семи жужелиц (большей частью, увы, уже размазанные по асфальту!).

Пятигорск, гора Бештау на горизонте (за ней - Железноводск)
Пятигорск, гора Бештау на горизонте (за ней - Железноводск)

Жуков этих в массе давят покрышки автомобилей, а также случайно или намеренно — ноги людей. Помимо этого им достаётся от птиц, в особенности — многочисленных дроздов.

Особенного интереса со стороны коллекционеров я не наблюдал. Если только у детей — поймать и замучить такую тварь (а порция кислоты в глаза ребёнка, скорее всего, просто ускоряла казнь красивому насекомому).

Местные к ним привыкли и относятся наплевательски, приезжие скорее обойдут или раздавят...

С горы эти жуки могут и спуститься вниз, в населённые районы (тут жужелкам точно не выжить) или в зону огородов и прочего сельского хозяйства.

Вид с Машука
Вид с Машука

До ближайшего леса на горе Бештау довольно далеко. Там, по информации в сети, Кавказских жужелиц ещё больше, но во время двух экскурсий туда ни одной не видел.

А поскольку во время второй вылазки туда неподалёку от нас с отцом застрелили человека, то желание ходить туда ещё как-то улетучилось.

По сути, популяция Кавказских жужелиц на Машуке изолирована от остальных представителей вида. Со всеми вытекающими подробностями...

Вот в Кисловодском парке им куда просторнее. Возможно поэтому там я их тоже не встречал. (А они там были. Как тот знаменитый суслик).

Ущелье реки Аликоновки
Ущелье реки Аликоновки
Слои известняка
Слои известняка

Лес на Машуке густой, в солнечный день — всё равно довольно сумрачный. В пасмурный день гору полностью накрывает туча, что чётко видно по высоте, на которой заканчиваются жилые постройки (впрочем, за 25 лет многое могло и измениться не в лучшую для жужелиц сторону!). Внутри такой тучи (я проверял) плохо видно и просто амбец насколько сыро! Жужелиц (Кавказскую и многих других) такая погода скорее радует, в отличии от засухи, типичной для конца лета.

По дороге на вершину (теоретически) могут ездить только машины телестанции. Практически же катались все, кто хотел. На большой скорости. Давя несчастных жужелиц и распугивая детей-велосипедистов (пешие прогулки на вершину не возбранялись).

В более позднее время там шлагбаум поставили.

Во время исследования местной фауны я обратил внимание — в почвенную ловушку Кавказские жужелицы не попадались.

Нет, если её туда посадить, то она не вылезет. Но они туда просто не падали! Загадка природы.

Монумент в честь М.Ю. Лермонтова
Монумент в честь М.Ю. Лермонтова

Особенно много Кавказских жужелиц было у монумента в честь места дуэли Лермонтова. Здесь я и обнаружил свежеубитую кем-то огромную самку в 52 мм длины. В спичечный коробок такая бы не влезла.

Вот настолько большая! Нетипично огромный Процерус в коробке с другими жужелицами.
Вот настолько большая! Нетипично огромный Процерус в коробке с другими жужелицами.

Жужелицы довольно неуклюжи, вследствие своей очень заметной массы (жаль, не взвесил тогда). Обладают малой агрессивностью к себе подобным, людей замечают только движущихся и совсем вблизи.

От их кислоты я защищался, так как «предупреждён, значит — вооружён».

В террариуме наблюдал, как они питаются, что описал выше.

Вокзал в Пятигорске. 2009 год. Это и следующие фото А.И. Бибилова
Вокзал в Пятигорске. 2009 год. Это и следующие фото А.И. Бибилова

Город Пятигорск сильно разрастается, не знаю, есть ли там ещё эти красивые и полезные жуки.

Вид на Бештау. Ноябрь 2009.
Вид на Бештау. Ноябрь 2009.

А некоторые пешеходные парковые зоны облагородили:

Дорожки на Машуке.
Дорожки на Машуке.

В общем, жужелица шероховатая нуждается в защите. Но для этого нужно прежде всего охранять оставшиеся участки леса. А при живом и здоровом лесе мелкие животные не пропадут.

В следующей статье про жужелиц расскажу про других Карабусов с Кавказа.

П.С. В Интернетах полным-полно фотографий жуков, как плохих, так и хороших (хорошие часто воруют). Подписи к этим фотографиям бывают самые дикие, особенно от господ ВОРОВ - не только не способны отличить кавказскую жужелицу от "жужелицы, пойманной на Кавказе" (а это очень большая разница), но и вообще способны перепутать жужелицу с не-пойми-кем, причём такое халтурное отношение можно обнаружить и в "научных" и "образовательных" "трудах". Все кавычки - не случайные.

Поэтому (критикуешь-предлагай!) рекомендую пользоваться приличными и проверенными источниками!

Например каталогом жуков (и, в частности, жужелиц!) с официального сайта ЗИН РАН.

Ссылка:

Изображение страницы официального сайти zin.ru
Изображение страницы официального сайти zin.ru
Атлас жуков России и близлежащих стран (коллективный проект к 100-летию книги Г.Г.Якобсона "Жуки России")

Здесь отметились и многие мои знакомые и коллеги. Так что - пользуйтесь!